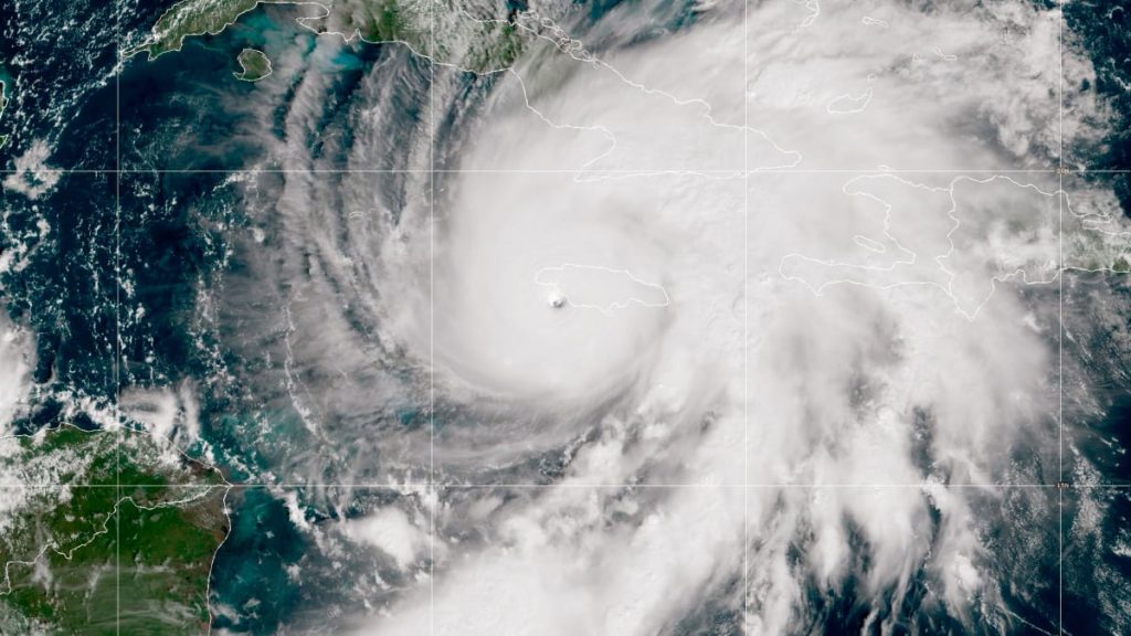
Hurricane Melissa wreaks havoc on Caribbean islands
A powerful hurricane is currently sweeping through the Caribbean, leaving a trail of destruction in its wake. Hurricane Melissa, which […]
Ukraine aid rejected by Slovakia amid EU loan dispute
Slovakia’s Prime Minister, Robert Fico, has announced that his country will not provide any financial assistance for Ukraine’s military efforts. […]
Gold demand hits record high on price surge
Gold demand has reached a record high in the third quarter, driven by the precious metal’s price surge to all-time […]
Latest News
Labour Grievances to be Addressed in Tinubu’s Independence Day Speech, says NEC
The National Economic Council (NEC) has announced that President Bola Tinubu’s Independence Day speech will focus on addressing the concerns […]

Uganda: Anti-Gay Law Fuelling Human Rights Abuses
A new report released by human rights agencies under the Convening for Equality reveals a staggering number of more than […]
Commission Upgrades Niger State College of Education to University
The National Universities Commission (NUC) has officially recognized and upgraded Niger State University of Education, Minna, to a University of […]

Speaker Emphasizes Importance of Capacity Building for Legislative Workers
The Speaker of the House of Representatives, Hon Tajudeen Abbas, has underscored his commitment to the training and retraining of […]

Obaseki accepts Shaibu’s apology, says ‘to err is human, to forgive is divine’
Governor Godwin Obaseki of Edo, says he has accepted the public apology by his deputy, Philip Shaibu, but noted that […]
NEC Urges Labour Unions to Pursue Dialogue, Calls for Suspension of Planned Indefinite Strike
The National Economic Council (NEC) has called on the Nigeria Labour Congress (NLC) and the Trade Union Congress (TUC) to […]

Kano guber poll: Ganduje is a serial loser – NNPP
The New Nigeria Peoples Party, NNPP, has described Alhaji Abdullahi Ganduje, the National Chairman of the All Progressives Congress, APC, […]

‘My faith made me accept apology, your unwarranted provocation caused me discomfort’ – Obaseki to Shaibu
The Edo State Governor, Godwin Obaseki, says he has accepted the public apology tendered by his deputy, Philip Shaibu. Obaseki […]

NEC Appeals to NLC and TUC to Halt Indefinite Strike for the Sake of the Economy
The National Economic Council (NEC) has called on the Nigeria Labour Congress (NLC) and the Trade Union Congress (TUC) to […]
- 1
- 2
- 3
- 4
- 5
- 6
- 7
- 8
- 9
- 10
- 11
- 12
- 13
- 14
- 15
- 16
- 17
- 18
- 19
- 20
- 21
- 22
- 23
- 24
- 25
- 26
- 27
- 28
- 29
- 30
- 31
- 32
- 33
- 34
- 35
- 36
- 37
- 38
- 39
- 40
- 41
- 42
- 43
- 44
- 45
- 46
- 47
- 48
- 49
- 50
- 51
- 52
- 53
- 54
- 55
- 56
- 57
- 58
- 59
- 60
- 61
- 62
- 63
- 64
- 65
- 66
- 67
- 68
- 69
- 70
- 71
- 72
- 73
- 74
- 75
- 76
- 77
- 78
- 79
- 80
- 81
- 82
- 83
- 84
- 85
- 86
- 87
- 88
- 89
- 90
- 91
- 92
- 93
- 94
- 95
- 96
- 97
- 98
- 99
- 100
- 101
- 102
- 103
- 104
- 105
- 106
- 107
- 108
- 109
- 110
- 111
- 112
- 113
- 114
- 115
- 116
- 117
- 118
- 119
- 120
- 121
- 122
- 123
- 124
- 125
- 126
- 127
- 128
- 129
- 130
- 131
- 132
- 133
- 134
- 135
- 136
- 137
- 138
- 139
- 140
- 141
- 142
- 143
- 144
- 145
- 146
- 147
- 148
- 149
- 150
- 151
- 152
- 153
- 154
- 155
- 156
- 157
- 158
- 159
- 160
- 161
- 162
- 163
- 164
- 165
- 166
- 167
- 168
- 169
- 170
- 171
- 172
- 173
- 174
- 175
- 176
- 177
- 178
- 179
- 180
- 181
- 182
- 183
- 184
- 185
- 186
- 187
- 188
- 189
- 190
- 191
- 192
- 193
- 194
- 195
- 196
- 197
- 198
- 199
- 200
- 201
- 202
- 203
- 204
- 205
- 206
- 207
- 208
- 209
- 210
- 211
- 212
- 213
- 214
- 215
- 216
- 217
- 218
- 219
- 220
- 221
- 222
- 223
- 224
- 225
- 226
- 227
- 228
- 229
- 230
- 231
- 232
- 233
- 234
- 235
- 236
- 237
- 238
- 239
- 240
- 241
- 242
- 243
- 244
- 245
- 246
- 247
- 248
- 249
- 250
- 251
- 252
- 253
- 254
- 255
- 256
- 257
- 258
- 259
- 260
- 261
- 262
- 263
- 264
- 265
- 266
- 267
- 268
- 269
- 270
- 271
- 272
- 273
- 274
- 275
- 276
- 277
- 278
- 279
- 280
- 281
- 282
- 283
- 284
- 285
- 286
- 287
- 288
- 289
- 290
- 291
- 292
- 293
- 294
- 295
- 296
- 297
- 298
- 299
- 300
- 301
- 302
- 303
- 304
- 305
- 306
- 307
- 308
- 309
- 310
- 311
- 312
- 313
- 314
- 315
- 316
- 317
- 318
- 319
- 320
- 321
- 322
- 323
- 324
- 325
- 326
- 327
- 328
- 329
- 330
- 331
- 332
- 333
- 334
- 335
- 336
- 337
- 338
- 339
- 340
- 341
- 342
- 343
- 344
- 345
- 346
- 347
- 348
- 349
- 350
- 351
- 352
- 353
- 354
- 355
- 356
- 357
- 358
- 359
- 360
- 361
- 362
- 363
- 364
- 365
- 366
- 367
- 368
- 369
- 370
- 371
- 372
- 373
- 374
- 375
- 376
- 377
- 378
- 379
- 380
- 381
- 382
- 383
- 384
- 385
- 386
- 387
- 388
- 389
- 390
- 391
- 392
- 393
- 394
- 395
- 396
- 397
- 398
- 399
- 400
- 401
- 402
- 403
- 404
- 405
- 406
- 407
- 408
- 409
- 410
- 411
- 412
- 413
- 414
- 415
- 416
- 417
- 418
- 419
- 420
- 421
- 422
- 423
- 424
- 425
- 426
- 427
- 428
- 429
- 430
- 431
- 432
- 433
- 434
- 435
- 436
- 437
- 438
- 439
- 440
- 441
- 442
- 443
- 444
- 445
- 446
- 447
- 448
- 449
- 450
- 451
- 452
- 453
- 454
- 455
- 456
- 457
- 458
- 459
- 460
- 461
- 462
- 463
- 464
- 465
- 466
- 467
- 468
- 469
- 470
- 471
- 472
- 473
- 474
- 475
- 476
- 477
- 478
- 479
- 480
- 481
- 482
- 483
- 484
- 485
- 486
- 487
- 488
- 489
- 490
- 491
- 492
- 493
- 494
- 495
- 496
- 497
- 498
- 499
- 500
- 501
- 502
- 503
- 504
- 505
- 506
- 507
- 508
- 509
- 510
- 511
- 512
- 513
- 514
- 515
- 516
- 517
- 518
- 519
- 520
- 521
- 522
- 523
- 524
- 525
- 526
- 527
- 528
- 529
- 530
- 531
- 532
- 533
- 534
- 535
- 536
- 537
- 538
- 539
- 540
- 541
- 542
- 543
- 544
- 545
- 546
- 547
- 548
- 549
- 550
- 551
- 552
- 553
- 554
- 555
- 556
- 557
- 558
- 559
- 560
- 561
- 562
- 563
- 564
- 565
- 566
- 567
- 568
- 569
- 570
- 571
- 572
- 573
- 574
- 575
- 576
- 577
- 578
- 579
- 580
- 581
- 582
- 583
- 584
- 585
- 586
- 587
- 588
- 589
- 590
- 591
- 592
- 593
- 594
- 595
- 596
- 597
- 598
- 599
- 600
- 601
- 602
- 603
- 604
- 605
- 606
- 607
- 608
- 609
- 610
- 611
- 612
- 613
- 614
- 615
- 616
- 617
- 618
- 619
- 620
- 621
- 622
- 623
- 624
- 625
- 626
- 627
- 628
- 629
- 630
- 631
- 632
- 633
- 634
- 635
- 636
- 637
- 638
- 639
- 640
- 641
- 642
- 643
- 644
- 645
- 646
- 647
- 648
- 649
- 650
- 651
- 652
- 653
- 654
- 655
- 656
- 657
- 658
- 659
- 660
- 661
- 662
- 663
- 664
- 665
- 666
- 667
- 668
- 669
- 670
- 671
- 672
- 673
- 674
- 675
- 676
- 677
- 678
- 679
- 680
- 681
- 682
- 683
- 684
- 685
- 686
- 687
- 688
- 689
- 690
- 691
- 692
- 693
- 694
- 695
- 696
- 697
- 698
- 699
- 700
- 701
- 702
- 703
- 704
- 705
- 706
- 707
- 708
- 709
- 710
- 711
- 712
- 713
- 714
- 715
- 716
- 717
- 718
- 719
- 720
- 721
- 722
- 723
- 724
- 725
- 726
- 727
- 728
- 729
- 730
- 731
- 732
- 733
- 734
- 735
- 736
- 737
- 738
- 739
- 740
- 741
- 742
- 743
- 744
- 745
- 746
- 747
- 748
- 749
- 750
- 751
- 752
- 753
- 754
- 755
- 756
- 757
- 758
- 759
- 760
- 761
- 762
- 763
- 764
- 765
- 766
- 767
- 768
- 769
- 770
- 771
- 772
- 773
- 774
- 775
- 776
- 777
- 778
- 779
- 780
- 781
- 782
- 783
- 784
- 785
- 786
- 787
- 788
- 789
- 790
- 791
- 792
- 793
- 794
- 795
- 796
- 797
- 798
- 799
- 800
- 801
- 802
- 803
- 804
- 805
- 806
- 807
- 808
- 809
- 810
- 811
- 812
- 813
- 814
- 815
- 816
- 817
- 818
- 819
- 820
- 821
- 822
- 823
- 824
- 825
- 826
- 827
- 828
- 829
- 830
- 831
- 832
- 833
- 834
- 835
- 836
- 837
- 838
- 839
- 840
- 841
- 842
- 843
- 844
- 845
- 846
- 847
- 848
- 849
- 850
- 851
- 852
- 853
- 854
- 855
- 856
- 857
- 858
- 859
- 860
- 861
- 862
- 863
- 864
- 865
- 866
- 867
- 868
- 869
- 870
- 871
- 872
- 873
- 874
- 875
- 876
- 877
- 878
- 879
- 880
- 881
- 882
- 883
- 884
- 885
- 886
- 887
- 888
- 889
- 890
- 891
- 892
- 893
- 894
- 895
- 896
- 897
- 898
- 899
- 900
- 901
- 902
- 903
- 904
- 905
- 906
- 907
- 908
- 909
- 910
- 911
- 912
- 913
- 914
- 915
- 916
- 917
- 918
- 919
- 920
- 921
- 922
- 923
- 924
- 925
- 926
- 927
- 928
- 929
- 930
- 931
- 932
- 933
- 934
- 935
- 936
- 937
- 938
- 939
- 940
- 941
- 942
- 943
- 944
- 945
- 946
- 947
- 948
- 949
- 950
- 951
- 952
- 953
- 954
- 955
- 956
- 957
- 958
- 959
- 960
- 961
- 962
- 963
- 964
- 965
- 966
- 967
- 968
- 969
- 970
- 971
- 972
- 973
- 974
- 975
- 976
- 977
- 978
- 979
- 980
- 981
- 982
- 983
- 984
- 985
- 986
- 987
- 988
- 989
- 990
- 991
- 992
- 993
- 994
- 995
- 996
- 997
- 998
- 999
- 1,000
- 1,001
- 1,002
- 1,003
- 1,004
- 1,005
- 1,006
- 1,007
- 1,008
- 1,009
- 1,010
- 1,011
- 1,012
- 1,013
- 1,014
- 1,015
- 1,016
- 1,017
- 1,018
- 1,019
- 1,020
- 1,021
- 1,022
- 1,023
- 1,024
- 1,025
- 1,026
- 1,027
- 1,028
- 1,029
- 1,030
- 1,031
- 1,032
- 1,033
- 1,034
- 1,035
- 1,036
- 1,037
- 1,038
- 1,039
- 1,040
- 1,041
- 1,042
- 1,043
- 1,044
- 1,045
- 1,046
- 1,047
- 1,048
- 1,049
- 1,050
- 1,051
- 1,052
- 1,053
- 1,054
- 1,055
- 1,056
- 1,057
- 1,058
- 1,059
- 1,060
- 1,061
- 1,062
- 1,063
- 1,064
- 1,065
- 1,066
- 1,067
- 1,068
- 1,069
- 1,070
- 1,071
- 1,072
- 1,073
- 1,074
- 1,075
- 1,076
- 1,077
- 1,078
- 1,079
- 1,080
- 1,081
- 1,082
- 1,083
- 1,084
- 1,085
- 1,086
- 1,087
- 1,088
- 1,089
- 1,090
- 1,091
- 1,092
- 1,093
- 1,094
- 1,095
- 1,096
- 1,097
- 1,098
- 1,099
- 1,100
- 1,101
- 1,102
- 1,103
- 1,104
- 1,105
- 1,106
- 1,107
- 1,108
- 1,109
- 1,110
- 1,111
- 1,112
- 1,113
- 1,114
- 1,115
- 1,116
- 1,117
- 1,118
- 1,119
- 1,120
- 1,121
- 1,122
- 1,123
- 1,124
- 1,125
- 1,126
- 1,127
- 1,128
- 1,129
- 1,130
- 1,131
- 1,132
- 1,133
- 1,134
- 1,135
- 1,136
- 1,137
- 1,138
- 1,139
- 1,140
- 1,141
- 1,142
- 1,143
- 1,144
- 1,145
- 1,146
- 1,147
- 1,148
- 1,149
- 1,150
- 1,151
- 1,152
- 1,153
- 1,154
- 1,155
- 1,156
- 1,157
- 1,158
- 1,159
- 1,160
- 1,161
- 1,162
- 1,163
- 1,164
- 1,165
- 1,166
- 1,167
- 1,168
- 1,169
- 1,170
- 1,171
- 1,172
- 1,173
- 1,174
- 1,175
- 1,176
- 1,177
- 1,178
- 1,179
- 1,180
- 1,181
- 1,182
- 1,183
- 1,184
- 1,185
- 1,186
- 1,187
- 1,188
- 1,189
- 1,190
- 1,191
- 1,192
- 1,193
- 1,194
- 1,195
- 1,196
- 1,197
- 1,198
- 1,199
- 1,200
- 1,201
- 1,202
- 1,203
- 1,204
- 1,205
- 1,206
- 1,207
- 1,208
- 1,209
- 1,210
- 1,211
- 1,212
- 1,213
- 1,214
- 1,215
- 1,216
- 1,217
- 1,218
- 1,219
- 1,220
- 1,221
- 1,222
- 1,223
- 1,224
- 1,225
- 1,226
- 1,227
- 1,228
- 1,229
- 1,230
- 1,231
- 1,232
- 1,233
- 1,234
- 1,235
- 1,236
- 1,237
- 1,238
- 1,239
- 1,240
- 1,241
- 1,242
- 1,243
- 1,244
- 1,245
- 1,246
- 1,247
- 1,248
- 1,249
- 1,250
- 1,251
- 1,252
- 1,253
- 1,254
- 1,255
- 1,256
- 1,257
- 1,258
- 1,259
- 1,260
- 1,261
- 1,262
- 1,263
- 1,264
- 1,265
- 1,266
- 1,267
- 1,268
- 1,269
- 1,270
- 1,271
- 1,272
- 1,273
- 1,274
- 1,275
- 1,276
- 1,277
- 1,278
- 1,279
- 1,280
- 1,281
- 1,282
- 1,283
- 1,284
- 1,285
- 1,286
- 1,287
- 1,288
- 1,289
- 1,290
- 1,291
- 1,292
- 1,293
- 1,294
- 1,295
- 1,296
- 1,297
- 1,298
- 1,299
- 1,300
- 1,301
- 1,302
- 1,303
- 1,304
- 1,305
- 1,306
- 1,307
- 1,308
- 1,309
- 1,310
- 1,311
- 1,312
- 1,313
- 1,314
- 1,315
- 1,316
- 1,317
- 1,318
- 1,319
- 1,320
- 1,321
- 1,322
- 1,323
- 1,324
- 1,325
- 1,326
- 1,327
- 1,328
- 1,329
- 1,330
- 1,331
- 1,332
- 1,333
- 1,334
- 1,335
- 1,336
- 1,337
- 1,338
- 1,339
- 1,340
- 1,341
- 1,342
- 1,343
- 1,344
- 1,345
- 1,346
- 1,347
- 1,348
- 1,349
- 1,350
- 1,351
- 1,352
- 1,353
- 1,354
- 1,355
- 1,356
- 1,357
- 1,358
- 1,359
- 1,360
- 1,361
- 1,362
- 1,363
- 1,364
- 1,365
- 1,366
- 1,367
- 1,368
- 1,369
- 1,370
- 1,371
- 1,372
- 1,373
- 1,374
- 1,375
- 1,376
- 1,377
- 1,378
- 1,379
- 1,380
- 1,381
- 1,382
- 1,383
- 1,384
- 1,385
- 1,386
- 1,387
- 1,388
- 1,389
- 1,390
- 1,391
- 1,392
- 1,393
- 1,394
- 1,395
- 1,396
- 1,397
- 1,398
- 1,399
- 1,400
- 1,401
- 1,402
- 1,403
- 1,404
- 1,405
- 1,406
- 1,407
- 1,408
- 1,409
- 1,410
- 1,411
- 1,412
- 1,413
- 1,414
- 1,415
- 1,416
- 1,417
- 1,418
- 1,419
- 1,420
- 1,421
- 1,422
- 1,423
- 1,424
- 1,425
- 1,426
- 1,427
- 1,428
- 1,429
- 1,430
- 1,431
- 1,432
- 1,433
- 1,434
- 1,435
- 1,436
- 1,437
- 1,438
- 1,439
- 1,440
- 1,441
- 1,442
- 1,443
- 1,444
- 1,445
- 1,446
- 1,447
- 1,448
- 1,449
- 1,450
- 1,451
- 1,452
- 1,453
- 1,454
- 1,455
- 1,456
- 1,457
- 1,458
- 1,459
- 1,460
- 1,461
- 1,462
- 1,463
- 1,464
- 1,465
- 1,466
- 1,467
- 1,468
- 1,469
- 1,470
- 1,471
- 1,472
- 1,473
- 1,474
- 1,475
- 1,476
- 1,477
- 1,478
- 1,479
- 1,480
- 1,481
- 1,482
- 1,483
- 1,484
- 1,485
- 1,486
- 1,487
- 1,488
- 1,489
- 1,490
- 1,491
- 1,492
- 1,493
- 1,494
- 1,495
- 1,496
- 1,497
- 1,498
- 1,499
- 1,500
- 1,501
- 1,502
- 1,503
- 1,504
- 1,505
- 1,506
- 1,507
- 1,508
- 1,509
- 1,510
- 1,511
- 1,512
- 1,513
- 1,514
- 1,515
- 1,516
- 1,517
- 1,518
- 1,519
- 1,520
- 1,521
- 1,522
- 1,523
- 1,524
- 1,525
- 1,526
- 1,527
- 1,528
- 1,529
- 1,530
- 1,531
- 1,532
- 1,533
- 1,534
- 1,535
- 1,536
- 1,537
- 1,538
- 1,539
- 1,540
- 1,541
- 1,542
- 1,543
- 1,544
- 1,545
- 1,546
- 1,547
- 1,548
- 1,549
- 1,550
- 1,551
- 1,552
- 1,553
- 1,554
- 1,555
- 1,556
- 1,557
- 1,558
- 1,559
- 1,560
- 1,561
- 1,562
- 1,563
- 1,564
- 1,565
- 1,566
- 1,567
- 1,568
- 1,569
- 1,570
- 1,571
- 1,572
- 1,573
- 1,574
- 1,575
- 1,576
- 1,577
- 1,578
- 1,579
- 1,580
- 1,581
- 1,582
- 1,583
- 1,584
- 1,585
- 1,586
- 1,587
- 1,588
- 1,589
- 1,590
- 1,591
- 1,592
- 1,593
- 1,594
- 1,595
- 1,596
- 1,597
- 1,598
- 1,599
- 1,600
- 1,601
- 1,602
- 1,603
- 1,604
- 1,605
- 1,606
- 1,607
- 1,608
- 1,609
- 1,610
- 1,611
- 1,612
- 1,613
- 1,614
- 1,615
- 1,616
- 1,617
- 1,618
- 1,619
- 1,620
- 1,621
- 1,622
- 1,623
- 1,624
- 1,625
- 1,626
- 1,627
- 1,628
- 1,629
- 1,630
- 1,631
- 1,632
- 1,633
- 1,634
- 1,635
- 1,636
- 1,637
- 1,638
- 1,639
- 1,640
- 1,641
- 1,642
- 1,643
- 1,644
- 1,645
- 1,646
- 1,647
- 1,648
- 1,649
- 1,650
- 1,651
- 1,652
- 1,653
- 1,654
- 1,655
- 1,656
- 1,657
- 1,658
- 1,659
- 1,660
- 1,661
- 1,662
- 1,663
- 1,664
- 1,665
- 1,666
- 1,667
- 1,668
- 1,669
- 1,670
- 1,671
- 1,672
- 1,673
- 1,674
- 1,675
- 1,676
- 1,677
- 1,678
- 1,679
- 1,680
- 1,681
- 1,682
- 1,683
- 1,684
- 1,685
- 1,686
- 1,687
- 1,688
- 1,689
- 1,690
- 1,691
- 1,692
- 1,693
- 1,694
- 1,695
- 1,696
- 1,697
- 1,698
- 1,699
- 1,700
- 1,701
- 1,702
- 1,703
- 1,704
- 1,705
- 1,706
- 1,707
- 1,708
- 1,709
- 1,710
- 1,711
- 1,712
- 1,713
- 1,714
- 1,715
- 1,716
- 1,717
- 1,718
- 1,719
- 1,720
- 1,721
- 1,722
- 1,723
- 1,724
- 1,725
- 1,726
- 1,727
- 1,728
- 1,729
- 1,730
- 1,731
- 1,732
- 1,733
- 1,734
- 1,735
- 1,736
- 1,737
- 1,738
- 1,739
- 1,740
- 1,741
- 1,742
- 1,743
- 1,744
- 1,745
- 1,746
- 1,747
- 1,748
- 1,749
- 1,750
- 1,751
- 1,752
- 1,753
- 1,754
- 1,755
- 1,756
- 1,757
- 1,758
- 1,759
- 1,760
- 1,761
- 1,762
- 1,763
- 1,764
- 1,765
- 1,766
- 1,767
- 1,768
- 1,769
- 1,770
- 1,771
- 1,772
- 1,773
- 1,774
- 1,775
- 1,776
- 1,777
- 1,778
- 1,779
- 1,780
- 1,781
- 1,782
- 1,783
- 1,784
- 1,785
- 1,786
- 1,787
- 1,788
- 1,789
- 1,790
- 1,791
- 1,792
- 1,793
- 1,794
- 1,795
- 1,796
- 1,797
- 1,798
- 1,799
- 1,800
- 1,801
- 1,802
- 1,803
- 1,804
- 1,805
- 1,806
- 1,807
- 1,808
- 1,809
- 1,810
- 1,811
- 1,812
- 1,813
- 1,814
- 1,815
- 1,816
- 1,817
- 1,818
- 1,819
- 1,820
- 1,821
- 1,822
- 1,823
- 1,824
- 1,825
- 1,826
- 1,827
- 1,828
- 1,829
- 1,830
- 1,831
- 1,832
- 1,833
- 1,834
- 1,835
- 1,836
- 1,837
- 1,838
- 1,839
- 1,840
- 1,841
- 1,842
- 1,843
- 1,844
- 1,845
- 1,846
- 1,847
- 1,848
- 1,849
- 1,850
- 1,851
- 1,852
- 1,853
- 1,854
- 1,855
- 1,856
- 1,857
- 1,858
- 1,859
- 1,860
- 1,861
- 1,862
- 1,863
- 1,864
- 1,865
- 1,866
- 1,867
- 1,868
- 1,869
- 1,870
- 1,871
- 1,872
- 1,873
- 1,874
- 1,875
- 1,876
- 1,877
- 1,878
- 1,879
- 1,880
- 1,881
- 1,882
- 1,883
- 1,884
- 1,885
- 1,886
- 1,887
- 1,888
- 1,889
- 1,890
- 1,891
- 1,892
- 1,893
- 1,894
- 1,895
- 1,896
- 1,897
- 1,898
- 1,899
- 1,900
- 1,901
- 1,902
- 1,903
- 1,904
- 1,905
- 1,906
- 1,907
- 1,908
- 1,909
- 1,910
- 1,911
- 1,912
- 1,913
- 1,914
- 1,915
- 1,916
- 1,917
- 1,918
- 1,919
- 1,920
- 1,921
- 1,922
- 1,923
- 1,924
- 1,925
- 1,926
- 1,927
- 1,928
- 1,929
- 1,930
- 1,931
- 1,932
- 1,933
- 1,934
- 1,935
- 1,936
- 1,937
- 1,938
- 1,939
- 1,940
- 1,941
- 1,942
- 1,943
- 1,944
- 1,945
- 1,946
- 1,947
- 1,948
- 1,949
- 1,950
- 1,951
- 1,952
- 1,953
- 1,954
- 1,955
- 1,956
- 1,957
- 1,958
- 1,959
- 1,960
- 1,961
- 1,962
- 1,963
- 1,964
- 1,965
- 1,966
- 1,967
- 1,968
- 1,969
- 1,970
- 1,971
- 1,972
- 1,973
- 1,974
- 1,975
- 1,976
- 1,977
- 1,978
- 1,979
- 1,980
- 1,981
- 1,982
- 1,983
- 1,984
- 1,985
- 1,986
- 1,987
- 1,988
- 1,989
- 1,990
- 1,991
- 1,992
- 1,993
- 1,994
- 1,995
- 1,996
- 1,997
- 1,998
- 1,999
- 2,000
- 2,001
- 2,002
- 2,003
- 2,004
- 2,005
- 2,006
- 2,007
- 2,008
- 2,009
- 2,010
- 2,011
- 2,012
- 2,013
- 2,014
- 2,015
- 2,016
- 2,017
- 2,018
- 2,019
- 2,020
- 2,021
- 2,022
- 2,023
- 2,024
- 2,025
- 2,026
- 2,027
- 2,028
- 2,029
- 2,030
- 2,031
- 2,032
- 2,033
- 2,034
- 2,035
- 2,036
- 2,037
- 2,038
- 2,039
- 2,040
- 2,041
- 2,042
- 2,043
- 2,044
- 2,045
- 2,046
- 2,047
- 2,048
- 2,049
- 2,050
- 2,051
- 2,052
- 2,053
- 2,054
- 2,055
- 2,056
- 2,057
- 2,058
- 2,059
- 2,060
- 2,061
- 2,062
- 2,063
- 2,064
- 2,065
- 2,066
- 2,067
- 2,068
- 2,069
- 2,070
- 2,071
- 2,072
- 2,073
- 2,074
- 2,075
- 2,076
- 2,077
- 2,078
- 2,079
- 2,080
- 2,081
- 2,082
- 2,083
- 2,084
- 2,085
- 2,086
- 2,087
- 2,088
- 2,089
- 2,090
- 2,091
- 2,092
- 2,093
- 2,094
- 2,095
- 2,096
- 2,097
- 2,098
- 2,099
- 2,100
- 2,101
- 2,102
- 2,103
- 2,104
- 2,105
- 2,106
- 2,107
- 2,108
- 2,109
- 2,110
- 2,111
- 2,112
- 2,113
- 2,114
- 2,115
- 2,116
- 2,117
- 2,118
- 2,119
- 2,120
- 2,121
- 2,122
- 2,123
- 2,124
- 2,125
- 2,126
- 2,127
- 2,128
- 2,129
- 2,130
- 2,131
- 2,132
- 2,133
- 2,134
- 2,135
- 2,136
- 2,137
- 2,138
- 2,139
- 2,140
- 2,141
- 2,142
- 2,143
- 2,144
- 2,145
- 2,146
- 2,147
- 2,148
- 2,149
- 2,150
- 2,151
- 2,152
- 2,153
- 2,154
- 2,155
- 2,156
- 2,157
- 2,158
- 2,159
- 2,160
- 2,161
- 2,162
- 2,163
- 2,164
- 2,165
- 2,166
- 2,167
- 2,168
- 2,169
- 2,170
- 2,171
- 2,172
- 2,173
- 2,174
- 2,175
- 2,176
- 2,177
- 2,178
- 2,179
- 2,180
- 2,181
- 2,182
- 2,183
- 2,184
- 2,185
- 2,186
- 2,187
- 2,188
- 2,189
- 2,190
- 2,191
- 2,192
- 2,193
- 2,194
- 2,195
- 2,196
- 2,197
- 2,198
- 2,199
- 2,200
- 2,201
- 2,202
- 2,203
- 2,204
- 2,205
- 2,206
- 2,207
- 2,208
- 2,209
- 2,210
- 2,211
- 2,212
- 2,213
- 2,214
- 2,215
- 2,216
- 2,217
- 2,218
- 2,219
- 2,220
- 2,221
- 2,222
- 2,223
- 2,224
- 2,225
- 2,226
- 2,227
- 2,228
- 2,229
- 2,230
- 2,231
- 2,232
- 2,233
- 2,234
- 2,235
- 2,236
- 2,237
- 2,238
- 2,239
- 2,240
- 2,241
- 2,242
- 2,243
- 2,244
- 2,245
- 2,246
- 2,247
- 2,248
- 2,249
- 2,250
- 2,251
- 2,252
- 2,253
- 2,254
- 2,255
- 2,256
- 2,257
- 2,258
- 2,259
- 2,260
- 2,261
- 2,262
- 2,263
- 2,264
- 2,265
- 2,266
- 2,267
- 2,268
- 2,269
- 2,270
- 2,271
- 2,272
- 2,273
- 2,274
- 2,275
- 2,276
- 2,277
- 2,278
- 2,279
- 2,280
- 2,281
- 2,282
- 2,283
- 2,284
- 2,285
- 2,286
- 2,287
- 2,288
- 2,289
- 2,290
- 2,291
- 2,292
- 2,293
- 2,294
- 2,295
- 2,296
- 2,297
- 2,298
- 2,299
- 2,300
- 2,301
- 2,302
- 2,303
- 2,304
- 2,305
- 2,306
- 2,307
- 2,308
- 2,309
- 2,310
- 2,311
- 2,312
- 2,313
- 2,314
- 2,315
- 2,316
- 2,317
- 2,318
- 2,319
- 2,320
- 2,321
- 2,322
- 2,323
- 2,324
- 2,325
- 2,326
- 2,327
- 2,328
- 2,329
- 2,330
- 2,331
- 2,332
- 2,333
- 2,334
- 2,335
- 2,336
- 2,337
- 2,338
- 2,339
- 2,340
- 2,341
- 2,342
- 2,343
- 2,344
- 2,345
- 2,346
- 2,347
- 2,348
- 2,349
- 2,350
- 2,351
- 2,352
- 2,353
- 2,354
- 2,355
- 2,356
- 2,357
- 2,358
- 2,359
- 2,360
- 2,361
- 2,362
- 2,363
- 2,364
- 2,365
- 2,366
- 2,367
- 2,368
- 2,369
- 2,370
- 2,371
- 2,372
- 2,373
- 2,374
- 2,375
- 2,376
- 2,377
- 2,378
- 2,379
- 2,380
- 2,381
- 2,382
- 2,383
- 2,384
- 2,385
- 2,386
- 2,387
- 2,388
- 2,389
- 2,390
- 2,391
- 2,392
- 2,393
- 2,394
- 2,395
- 2,396
- 2,397
- 2,398
- 2,399
- 2,400
- 2,401
- 2,402
- 2,403
- 2,404
- 2,405
- 2,406
- 2,407
- 2,408
- 2,409
- 2,410
- 2,411
- 2,412
- 2,413
- 2,414
- 2,415
- 2,416
- 2,417
- 2,418
- 2,419
- 2,420
- 2,421
- 2,422
- 2,423
- 2,424
- 2,425
- 2,426
- 2,427
- 2,428
- 2,429
- 2,430
- 2,431
- 2,432
- 2,433
- 2,434
- 2,435
- 2,436
- 2,437
- 2,438
- 2,439
- 2,440
- 2,441
- 2,442
- 2,443
- 2,444
- 2,445
- 2,446
- 2,447
- 2,448
- 2,449
- 2,450
- 2,451
- 2,452
- 2,453
- 2,454
- 2,455
- 2,456
- 2,457
- 2,458
- 2,459
- 2,460
- 2,461
- 2,462
- 2,463
- 2,464
- 2,465
- 2,466
- 2,467
- 2,468
- 2,469
- 2,470
- 2,471
- 2,472
- 2,473
- 2,474
- 2,475
- 2,476
- 2,477
- 2,478
- 2,479
- 2,480
- 2,481
- 2,482
- 2,483
- 2,484
- 2,485
- 2,486
- 2,487
- 2,488
- 2,489
- 2,490
- 2,491
- 2,492
- 2,493
- 2,494
- 2,495
- 2,496
- 2,497
- 2,498
- 2,499
- 2,500
- 2,501
- 2,502
- 2,503
- 2,504
- 2,505
- 2,506
- 2,507
- 2,508
- 2,509
- 2,510
- 2,511
- 2,512
- 2,513
- 2,514
- 2,515
- 2,516
- 2,517
- 2,518
- 2,519
- 2,520
- 2,521
- 2,522
- 2,523
- 2,524
- 2,525
- 2,526
- 2,527
- 2,528
- 2,529
- 2,530
- 2,531
- 2,532
- 2,533
- 2,534
- 2,535
- 2,536
- 2,537
- 2,538
- 2,539
- 2,540
- 2,541
- 2,542
- 2,543
- 2,544
- 2,545
- 2,546
- 2,547
- 2,548
- 2,549
- 2,550
- 2,551
- 2,552
- 2,553
- 2,554
- 2,555
- 2,556
- 2,557
- 2,558
- 2,559
- 2,560
- 2,561
- 2,562
- 2,563
- 2,564
- 2,565
- 2,566
- 2,567
- 2,568
- 2,569
- 2,570
- 2,571
- 2,572
- 2,573
- 2,574
- 2,575
- 2,576
- 2,577
- 2,578
- 2,579
- 2,580
- 2,581
- 2,582
- 2,583
- 2,584
- 2,585
- 2,586
- 2,587
- 2,588
- 2,589
- 2,590
- 2,591
- 2,592
- 2,593
- 2,594
- 2,595
- 2,596
- 2,597
- 2,598
- 2,599
- 2,600
- 2,601
- 2,602
- 2,603
- 2,604
- 2,605
- 2,606
- 2,607
- 2,608
- 2,609
- 2,610
- 2,611
- 2,612
- 2,613
- 2,614
- 2,615
- 2,616
- 2,617
- 2,618
- 2,619
- 2,620
- 2,621
- 2,622
- 2,623
- 2,624
- 2,625
- 2,626
- 2,627
- 2,628
- 2,629
- 2,630
- 2,631
- 2,632
- 2,633
- 2,634
- 2,635
- 2,636
- 2,637
- 2,638
- 2,639
- 2,640
- 2,641
- 2,642
- 2,643
- 2,644
- 2,645
- 2,646
- 2,647
- 2,648
- 2,649
- 2,650
- 2,651
- 2,652
- 2,653
- 2,654
- 2,655
- 2,656
- 2,657
- 2,658
- 2,659
- 2,660
- 2,661
- 2,662
- 2,663
- 2,664
- 2,665
- 2,666
- 2,667
- 2,668
- 2,669
- 2,670
- 2,671
- 2,672
- 2,673
- 2,674
- 2,675
- 2,676
- 2,677
- 2,678
- 2,679
- 2,680
- 2,681
- 2,682
- 2,683
- 2,684
- 2,685
- 2,686
- 2,687
- 2,688
- 2,689
- 2,690
- 2,691
- 2,692
- 2,693
- 2,694
- 2,695
- 2,696
- 2,697
- 2,698
- 2,699
- 2,700
- 2,701
- 2,702
- 2,703
- 2,704
- 2,705
- 2,706
- 2,707
- 2,708
- 2,709
- 2,710
- 2,711
- 2,712
- 2,713
- 2,714
- 2,715
- 2,716
- 2,717
- 2,718
- 2,719
- 2,720
- 2,721
- 2,722
- 2,723
- 2,724
- 2,725
- 2,726
- 2,727
- 2,728
- 2,729
- 2,730
- 2,731
- 2,732
- 2,733
- 2,734
- 2,735
- 2,736
- 2,737
- 2,738
- 2,739
- 2,740
- 2,741
- 2,742
- 2,743
- 2,744
- 2,745
- 2,746
- 2,747
- 2,748
- 2,749
- 2,750
- 2,751
- 2,752
- 2,753
- 2,754
- 2,755
- 2,756
- 2,757
- 2,758
- 2,759
- 2,760
- 2,761
- 2,762
- 2,763
- 2,764
- 2,765
- 2,766
- 2,767
- 2,768
- 2,769
- 2,770
- 2,771
- 2,772
- 2,773
- 2,774
- 2,775
- 2,776
- 2,777
- 2,778
- 2,779
- 2,780
- 2,781
- 2,782
- 2,783
- 2,784
- 2,785
- 2,786
- 2,787
- 2,788
- 2,789
- 2,790
- 2,791
- 2,792
- 2,793
- 2,794
- 2,795
- 2,796
- 2,797
- 2,798
- 2,799
- 2,800
- 2,801
- 2,802
- 2,803
- 2,804
- 2,805
- 2,806
- 2,807
- 2,808
- 2,809
- 2,810
- 2,811
- 2,812
- 2,813
- 2,814
- 2,815
- 2,816
- 2,817
- 2,818
- 2,819
- 2,820
- 2,821
- 2,822
- 2,823
- 2,824
- 2,825
- 2,826
- 2,827
- 2,828
- 2,829
- 2,830
- 2,831
- 2,832
- 2,833
- 2,834
- 2,835
- 2,836
- 2,837
- 2,838
- 2,839
- 2,840
- 2,841
- 2,842
- 2,843
- 2,844
- 2,845
- 2,846
- 2,847
- 2,848
- 2,849
- 2,850
- 2,851
- 2,852
- 2,853
- 2,854
- 2,855
- 2,856
- 2,857
- 2,858
- 2,859
- 2,860
- 2,861
- 2,862
- 2,863
- 2,864
- 2,865
- 2,866
- 2,867
- 2,868
- 2,869
- 2,870
- 2,871
- 2,872
- 2,873
- 2,874
- 2,875
- 2,876
- 2,877
- 2,878
- 2,879
- 2,880
- 2,881
- 2,882
- 2,883
- 2,884
- 2,885
- 2,886
- 2,887
- 2,888
- 2,889
- 2,890
- 2,891
- 2,892
- 2,893
- 2,894
- 2,895
- 2,896
- 2,897
- 2,898
- 2,899
- 2,900
- 2,901
- 2,902
- 2,903
- 2,904
- 2,905
- 2,906
- 2,907
- 2,908
- 2,909
- 2,910
- 2,911
- 2,912
- 2,913
- 2,914
- 2,915
- 2,916
- 2,917
- 2,918
- 2,919
- 2,920
- 2,921
- 2,922
- 2,923
- 2,924
- 2,925
- 2,926
- 2,927
- 2,928
- 2,929
- 2,930
- 2,931
- 2,932
- 2,933
- 2,934
- 2,935
- 2,936
- 2,937
- 2,938
- 2,939
- 2,940
- 2,941
- 2,942
- 2,943
- 2,944
- 2,945
- 2,946
- 2,947
- 2,948
- 2,949
- 2,950
- 2,951
- 2,952
- 2,953
- 2,954
- 2,955
- 2,956
- 2,957
- 2,958
- 2,959
- 2,960
- 2,961
- 2,962
- 2,963
- 2,964
- 2,965
- 2,966
- 2,967
- 2,968
- 2,969
- 2,970
- 2,971
- 2,972
- 2,973
- 2,974
- 2,975
- 2,976
- 2,977
- 2,978
- 2,979
- 2,980
- 2,981
- 2,982
- 2,983
- 2,984
- 2,985
- 2,986
- 2,987
- 2,988
- 2,989
- 2,990
- 2,991
- 2,992
- 2,993
- 2,994
- 2,995
- 2,996
- 2,997
- 2,998
- 2,999
- 3,000
- 3,001
- 3,002
- 3,003
- 3,004
- 3,005
- 3,006
- 3,007
- 3,008
- 3,009
- 3,010
- 3,011
- 3,012
- 3,013
- 3,014
- 3,015
- 3,016
- 3,017
- 3,018
- 3,019
- 3,020
- 3,021
- 3,022
- 3,023
- 3,024
- 3,025
- 3,026
- 3,027
- 3,028
- 3,029
- 3,030
- 3,031
- 3,032
- 3,033
- 3,034
- 3,035
- 3,036
- 3,037
- 3,038
- 3,039
- 3,040
- 3,041
- 3,042
- 3,043
- 3,044
- 3,045
- 3,046
- 3,047
- 3,048
- 3,049
- 3,050
- 3,051
- 3,052
- 3,053
- 3,054
- 3,055
- 3,056
- 3,057
- 3,058
- 3,059
- 3,060
- 3,061
- 3,062
- 3,063
- 3,064
- 3,065
- 3,066
- 3,067
- 3,068
- 3,069
- 3,070
- 3,071
- 3,072
- 3,073
- 3,074
- 3,075
- 3,076
- 3,077
- 3,078
- 3,079
- 3,080
- 3,081
- 3,082
- 3,083
- 3,084
- 3,085
- 3,086
- 3,087
- 3,088
- 3,089
- 3,090
- 3,091
- 3,092
- 3,093
- 3,094
- 3,095
- 3,096
- 3,097
- 3,098
- 3,099
- 3,100
- 3,101
- 3,102
- 3,103
- 3,104
- 3,105
- 3,106
- 3,107
- 3,108
- 3,109
- 3,110
- 3,111
- 3,112
- 3,113
- 3,114
- 3,115
- 3,116
- 3,117
- 3,118
- 3,119
- 3,120
- 3,121
- 3,122
- 3,123
- 3,124
- 3,125
- 3,126
- 3,127
- 3,128
- 3,129
- 3,130
- 3,131
- 3,132
- 3,133
- 3,134
- 3,135
- 3,136
- 3,137
- 3,138
- 3,139
- 3,140
- 3,141
- 3,142
- 3,143
- 3,144
- 3,145
- 3,146
- 3,147
- 3,148
- 3,149
- 3,150
- 3,151
- 3,152
- 3,153
- 3,154
- 3,155
- 3,156
- 3,157
- 3,158
- 3,159
- 3,160
- 3,161
- 3,162
- 3,163
- 3,164
- 3,165
- 3,166
- 3,167
- 3,168
- 3,169
- 3,170
- 3,171
- 3,172
- 3,173
- 3,174
- 3,175
- 3,176
- 3,177
- 3,178
- 3,179
- 3,180
- 3,181
- 3,182
- 3,183
- 3,184
- 3,185
- 3,186
- 3,187
- 3,188
- 3,189
- 3,190
- 3,191
- 3,192
- 3,193
- 3,194
- 3,195
- 3,196
- 3,197
- 3,198
- 3,199
- 3,200
- 3,201
- 3,202
- 3,203
- 3,204
- 3,205
- 3,206
- 3,207
- 3,208
- 3,209
- 3,210
- 3,211
- 3,212
- 3,213
- 3,214
- 3,215
- 3,216
- 3,217
- 3,218
- 3,219
- 3,220
- 3,221
- 3,222
- 3,223
- 3,224
- 3,225
- 3,226
- 3,227
- 3,228
- 3,229
- 3,230
- 3,231
- 3,232
- 3,233
- 3,234
- 3,235
- 3,236
- 3,237
- 3,238
- 3,239
- 3,240
- 3,241
- 3,242
- 3,243
- 3,244
- 3,245
- 3,246
- 3,247
- 3,248
- 3,249
- 3,250
- 3,251
- 3,252
- 3,253
- 3,254
- 3,255
- 3,256
- 3,257
- 3,258
- 3,259
- 3,260
- 3,261
- 3,262
- 3,263
- 3,264
- 3,265
- 3,266
- 3,267
- 3,268
- 3,269
- 3,270
- 3,271
- 3,272
- 3,273
- 3,274
- 3,275
- 3,276
- 3,277
- 3,278
- 3,279
- 3,280
- 3,281
- 3,282
- 3,283
- 3,284
- 3,285
- 3,286
- 3,287
- 3,288
- 3,289
- 3,290
- 3,291
- 3,292
- 3,293
- 3,294
- 3,295
- 3,296
- 3,297
- 3,298
- 3,299
- 3,300
- 3,301
- 3,302
- 3,303
- 3,304
- 3,305
- 3,306
- 3,307
- 3,308
- 3,309
- 3,310
- 3,311
- 3,312
- 3,313
- 3,314
- 3,315
- 3,316
- 3,317
- 3,318
- 3,319
- 3,320
- 3,321
- 3,322
- 3,323
- 3,324
- 3,325
- 3,326
- 3,327
- 3,328
- 3,329
- 3,330
- 3,331
- 3,332
- 3,333
- 3,334
- 3,335
- 3,336
- 3,337
- 3,338
- 3,339
- 3,340
- 3,341
- 3,342
- 3,343
- 3,344
- 3,345
- 3,346
- 3,347
- 3,348
- 3,349
- 3,350
- 3,351
- 3,352
- 3,353
- 3,354
- 3,355
- 3,356
- 3,357
- 3,358
- 3,359
- 3,360
- 3,361
- 3,362
- 3,363
- 3,364
- 3,365
- 3,366
- 3,367
- 3,368
- 3,369
- 3,370
- 3,371
- 3,372
- 3,373
- 3,374
- 3,375
- 3,376
- 3,377
- 3,378
- 3,379
- 3,380
- 3,381
- 3,382
- 3,383
- 3,384
- 3,385
- 3,386
- 3,387
- 3,388
- 3,389
- 3,390
- 3,391
- 3,392
- 3,393
- 3,394
- 3,395
- 3,396
- 3,397
- 3,398
- 3,399
- 3,400
- 3,401
- 3,402
- 3,403
- 3,404
- 3,405
- 3,406
- 3,407
- 3,408
- 3,409
- 3,410
- 3,411
- 3,412
- 3,413
- 3,414
- 3,415
- 3,416
- 3,417
- 3,418
- 3,419
- 3,420
- 3,421
- 3,422
- 3,423
- 3,424
- 3,425
- 3,426
- 3,427
- 3,428
- 3,429
- 3,430
- 3,431
- 3,432
- 3,433
- 3,434
- 3,435
- 3,436
- 3,437
- 3,438
- 3,439
- 3,440
- 3,441
- 3,442
- 3,443
- 3,444
- 3,445
- 3,446
- 3,447
- 3,448
- 3,449
- 3,450
- 3,451
- 3,452
- 3,453
- 3,454
- 3,455
- 3,456
- 3,457
- 3,458
- 3,459
- 3,460
- 3,461
- 3,462
- 3,463
- 3,464
- 3,465
- 3,466
- 3,467
- 3,468
- 3,469
- 3,470
- 3,471
- 3,472
- 3,473
- 3,474
- 3,475
- 3,476
- 3,477
- 3,478
- 3,479
- 3,480
- 3,481
- 3,482
- 3,483
- 3,484
- 3,485
- 3,486
- 3,487
- 3,488
- 3,489
- 3,490
- 3,491
- 3,492
- 3,493
- 3,494
- 3,495
- 3,496
- 3,497
- 3,498
- 3,499
- 3,500
- 3,501
- 3,502
- 3,503
- 3,504
- 3,505
- 3,506
- 3,507
- 3,508
- 3,509
- 3,510
- 3,511
- 3,512
- 3,513
- 3,514
- 3,515
- 3,516
- 3,517
- 3,518
- 3,519
- 3,520
- 3,521
- 3,522
- 3,523
- 3,524
- 3,525
- 3,526
- 3,527
- 3,528
- 3,529
- 3,530
- 3,531
- 3,532
- 3,533
- 3,534
- 3,535
- 3,536
- 3,537
- 3,538
- 3,539
- 3,540
- 3,541
- 3,542
- 3,543
- 3,544
- 3,545
- 3,546
- 3,547
- 3,548
- 3,549
- 3,550
- 3,551
- 3,552
- 3,553
- 3,554
- 3,555
- 3,556
- 3,557
- 3,558
- 3,559
- 3,560
- 3,561
- 3,562
- 3,563
- 3,564
- 3,565
- 3,566
- 3,567
- 3,568
- 3,569
- 3,570
- 3,571
- 3,572
- 3,573
- 3,574
- 3,575
- 3,576
- 3,577
- 3,578
- 3,579
- 3,580
- 3,581
- 3,582
- 3,583
- 3,584
- 3,585
- 3,586
- 3,587
- 3,588
- 3,589
- 3,590
- 3,591
- 3,592
- 3,593
- 3,594
- 3,595
- 3,596
- 3,597
- 3,598
- 3,599
- 3,600
- 3,601
- 3,602
- 3,603
- 3,604
- 3,605
- 3,606
- 3,607
- 3,608
- 3,609
- 3,610
- 3,611
- 3,612
- 3,613
- 3,614
- 3,615
- 3,616
- 3,617
- 3,618
- 3,619
- 3,620
- 3,621
- 3,622
- 3,623
- 3,624
- 3,625
- 3,626
- 3,627
- 3,628
- 3,629
- 3,630
- 3,631
- 3,632
- 3,633
- 3,634
- 3,635
- 3,636
- 3,637
- 3,638
- 3,639
- 3,640
- 3,641
- 3,642
- 3,643
- 3,644
- 3,645
- 3,646
- 3,647
- 3,648
- 3,649
- 3,650
- 3,651
- 3,652
- 3,653
- 3,654
- 3,655
- 3,656
- 3,657
- 3,658
- 3,659
- 3,660
- 3,661
- 3,662
- 3,663
- 3,664
- 3,665
- 3,666
- 3,667
- 3,668
- 3,669
- 3,670
- 3,671
- 3,672
- 3,673
- 3,674
- 3,675
- 3,676
- 3,677
- 3,678
- 3,679
- 3,680
- 3,681
- 3,682
- 3,683
- 3,684
- 3,685
- 3,686
- 3,687
- 3,688
- 3,689
- 3,690
- 3,691
- 3,692
- 3,693
- 3,694
- 3,695
- 3,696
- 3,697
- 3,698
- 3,699
- 3,700
- 3,701
- 3,702
- 3,703
- 3,704
- 3,705
- 3,706
- 3,707
- 3,708
- 3,709
- 3,710
- 3,711
- 3,712
- 3,713
- 3,714
- 3,715
- 3,716
- 3,717
- 3,718
- 3,719
- 3,720
- 3,721
- 3,722
- 3,723
- 3,724
- 3,725
- 3,726
- 3,727
- 3,728
- 3,729
- 3,730
- 3,731
- 3,732
- 3,733
- 3,734
- 3,735
- 3,736
- 3,737
- 3,738
- 3,739
- 3,740
- 3,741
- 3,742
- 3,743
- 3,744
- 3,745
- 3,746
- 3,747
- 3,748
- 3,749
- 3,750
- 3,751
- 3,752
- 3,753
- 3,754
- 3,755
- 3,756
- 3,757
- 3,758
- 3,759
- 3,760
- 3,761
- 3,762
- 3,763
- 3,764
- 3,765
- 3,766
- 3,767
- 3,768
- 3,769
- 3,770
- 3,771
- 3,772
- 3,773
- 3,774
- 3,775
- 3,776
- 3,777
- 3,778
- 3,779
- 3,780
- 3,781
- 3,782
- 3,783
- 3,784
- 3,785
- 3,786
- 3,787
- 3,788
- 3,789
- 3,790
- 3,791
- 3,792
- 3,793
- 3,794
- 3,795
- 3,796
- 3,797
- 3,798
- 3,799
- 3,800
- 3,801
- 3,802
- 3,803
- 3,804
- 3,805
- 3,806
- 3,807
- 3,808
- 3,809
- 3,810
- 3,811
- 3,812
- 3,813
- 3,814
- 3,815
- 3,816
- 3,817
- 3,818
- 3,819
- 3,820
- 3,821
- 3,822
- 3,823
- 3,824
- 3,825
- 3,826
- 3,827
- 3,828
- 3,829
- 3,830
- 3,831
- 3,832
- 3,833
- 3,834
- 3,835
- 3,836
- 3,837
- 3,838
- 3,839
- 3,840
- 3,841
- 3,842
- 3,843
- 3,844
- 3,845
- 3,846
- 3,847
- 3,848
- 3,849
- 3,850
- 3,851
- 3,852
- 3,853
- 3,854
- 3,855
- 3,856
- 3,857
- 3,858
- 3,859
- 3,860
- 3,861
- 3,862
- 3,863
- 3,864
- 3,865
- 3,866
- 3,867
- 3,868
- 3,869
- 3,870
- 3,871
- 3,872
- 3,873
- 3,874
- 3,875
- 3,876
- 3,877
- 3,878
- 3,879
- 3,880
- 3,881
- 3,882
- 3,883
- 3,884
- 3,885
- 3,886
- 3,887
- 3,888
- 3,889
- 3,890
- 3,891
- 3,892
- 3,893
- 3,894
- 3,895
- 3,896
- 3,897
- 3,898
- 3,899
- 3,900
- 3,901
- 3,902
- 3,903
- 3,904
- 3,905
- 3,906
- 3,907
- 3,908
- 3,909
- 3,910
- 3,911
- 3,912
- 3,913
- 3,914
- 3,915
- 3,916
- 3,917
- 3,918
- 3,919
- 3,920
- 3,921
- 3,922
- 3,923
- 3,924
- 3,925
- 3,926
- 3,927
- 3,928
- 3,929
- 3,930
- 3,931
- 3,932
- 3,933
- 3,934
- 3,935
- 3,936
- 3,937
- 3,938
- 3,939
- 3,940
- 3,941
- 3,942
- 3,943
- 3,944
- 3,945
- 3,946
- 3,947
- 3,948
- 3,949
- 3,950
- 3,951
- 3,952
- 3,953
- 3,954
- 3,955
- 3,956
- 3,957
- 3,958
- 3,959
- 3,960
- 3,961
- 3,962
- 3,963
- 3,964
- 3,965
- 3,966
- 3,967
- 3,968
- 3,969
- 3,970
- 3,971
- 3,972
- 3,973
- 3,974
- 3,975
- 3,976
- 3,977
- 3,978
- 3,979
- 3,980
- 3,981
- 3,982
- 3,983
- 3,984
- 3,985
- 3,986
- 3,987
- 3,988
- 3,989
- 3,990
- 3,991
- 3,992
- 3,993
- 3,994
- 3,995
- 3,996
- 3,997
- 3,998
- 3,999
- 4,000
- 4,001
- 4,002
- 4,003
- 4,004
- 4,005
- 4,006
- 4,007
- 4,008
- 4,009
- 4,010
- 4,011
- 4,012
- 4,013
- 4,014
- 4,015
- 4,016
- 4,017
- 4,018
- 4,019
- 4,020
- 4,021
- 4,022
- 4,023
- 4,024
- 4,025
- 4,026
- 4,027
- 4,028
- 4,029
- 4,030
- 4,031
- 4,032
- 4,033
- 4,034
- 4,035
- 4,036
- 4,037
- 4,038
- 4,039
- 4,040
- 4,041
- 4,042
- 4,043
- 4,044
- 4,045
- 4,046
- 4,047
- 4,048
- 4,049
- 4,050
- 4,051
- 4,052
- 4,053
- 4,054
- 4,055
- 4,056
- 4,057
- 4,058
- 4,059
- 4,060
- 4,061
- 4,062
- 4,063
- 4,064
- 4,065
- 4,066
- 4,067
- 4,068
- 4,069
- 4,070
- 4,071
- 4,072
- 4,073
- 4,074
- 4,075
- 4,076
- 4,077
- 4,078
- 4,079
- 4,080
- 4,081
- 4,082
- 4,083
- 4,084
- 4,085
- 4,086
- 4,087
- 4,088
- 4,089
- 4,090
- 4,091
- 4,092
- 4,093
- 4,094
- 4,095
- 4,096
- 4,097
- 4,098
- 4,099
- 4,100
- 4,101
- 4,102
- 4,103
- 4,104
- 4,105
- 4,106
- 4,107
- 4,108
- 4,109
- 4,110
- 4,111
- 4,112
- 4,113
- 4,114
- 4,115
- 4,116
- 4,117
- 4,118
- 4,119
- 4,120
- 4,121
- 4,122
- 4,123
- 4,124
- 4,125
- 4,126
- 4,127
- 4,128
- 4,129
- 4,130
- 4,131
- 4,132
- 4,133
- 4,134
- 4,135
- 4,136
- 4,137
- 4,138
- 4,139
- 4,140
- 4,141
- 4,142
- 4,143
- 4,144
- 4,145
- 4,146
- 4,147
- 4,148
- 4,149
- 4,150
- 4,151
- 4,152
- 4,153
- 4,154
- 4,155
- 4,156
- 4,157
- 4,158
- 4,159
- 4,160
- 4,161
- 4,162
- 4,163
- 4,164
- 4,165
- 4,166
- 4,167
- 4,168
- 4,169
- 4,170
- 4,171
- 4,172
- 4,173
- 4,174
- 4,175
- 4,176
- 4,177
- 4,178
- 4,179
- 4,180
- 4,181
- 4,182
- 4,183
- 4,184
- 4,185
- 4,186
- 4,187
- 4,188
- 4,189
- 4,190
- 4,191
- 4,192
- 4,193
- 4,194
- 4,195
- 4,196
- 4,197
- 4,198
- 4,199
- 4,200
- 4,201
- 4,202
- 4,203
- 4,204
- 4,205
- 4,206
- 4,207
- 4,208
- 4,209
- 4,210
- 4,211
- 4,212
- 4,213
- 4,214
- 4,215
- 4,216
- 4,217
- 4,218
- 4,219
- 4,220
- 4,221
- 4,222
- 4,223
- 4,224
- 4,225
- 4,226
- 4,227
- 4,228
- 4,229
- 4,230
- 4,231
- 4,232
- 4,233
- 4,234
- 4,235
- 4,236
- 4,237
- 4,238
- 4,239
- 4,240
- 4,241
- 4,242
- 4,243
- 4,244
- 4,245
- 4,246
- 4,247
- 4,248
- 4,249
- 4,250
- 4,251
- 4,252
- 4,253
- 4,254
- 4,255
- 4,256
- 4,257
- 4,258
- 4,259
- 4,260
- 4,261
- 4,262
- 4,263
- 4,264
- 4,265
- 4,266
- 4,267
- 4,268
- 4,269
- 4,270
- 4,271
- 4,272
- 4,273
- 4,274
- 4,275
- 4,276
- 4,277
- 4,278
- 4,279
- 4,280
- 4,281
- 4,282
- 4,283
- 4,284
- 4,285
- 4,286
- 4,287
- 4,288
- 4,289
- 4,290
- 4,291
- 4,292
- 4,293
- 4,294
- 4,295
- 4,296
- 4,297
- 4,298
- 4,299
- 4,300
- 4,301
- 4,302
- 4,303
- 4,304
- 4,305
- 4,306
- 4,307
- 4,308
- 4,309
- 4,310
- 4,311
- 4,312
- 4,313
- 4,314
- 4,315
- 4,316
- 4,317
- 4,318
- 4,319
- 4,320
- 4,321
- 4,322
- 4,323
- 4,324
- 4,325
- 4,326
- 4,327
- 4,328
- 4,329
- 4,330
- 4,331
- 4,332
- 4,333
- 4,334
- 4,335
- 4,336
- 4,337
- 4,338
- 4,339
- 4,340
- 4,341
- 4,342
- 4,343
- 4,344
- 4,345
- 4,346
- 4,347
- 4,348
- 4,349
- 4,350
- 4,351
- 4,352
- 4,353
- 4,354
- 4,355
- 4,356
- 4,357
- 4,358
- 4,359
- 4,360
- 4,361
- 4,362
- 4,363
- 4,364
- 4,365
- 4,366
- 4,367
- 4,368
- 4,369
- 4,370
- 4,371
- 4,372
- 4,373
- 4,374
- 4,375
- 4,376
- 4,377
- 4,378
- 4,379
- 4,380
- 4,381
- 4,382
- 4,383
- 4,384
- 4,385
- 4,386
- 4,387
- 4,388
- 4,389
- 4,390
- 4,391
- 4,392
- 4,393
- 4,394
- 4,395
- 4,396
- 4,397
- 4,398
- 4,399
- 4,400
- 4,401
- 4,402
- 4,403
- 4,404
- 4,405
- 4,406
- 4,407
- 4,408
- 4,409
- 4,410
- 4,411
- 4,412
- 4,413
- 4,414
- 4,415
- 4,416
- 4,417
- 4,418
- 4,419
- 4,420
- 4,421
- 4,422
- 4,423
- 4,424
- 4,425
- 4,426
- 4,427
- 4,428
- 4,429
- 4,430
- 4,431
- 4,432
- 4,433
- 4,434
- 4,435
- 4,436
- 4,437
- 4,438
- 4,439
- 4,440
- 4,441
- 4,442
- 4,443
- 4,444
- 4,445
- 4,446
- 4,447
- 4,448
- 4,449
- 4,450
- 4,451
- 4,452
- 4,453
- 4,454
- 4,455
- 4,456
- 4,457
- 4,458
- 4,459
- 4,460
- 4,461
- 4,462
- 4,463
- 4,464
- 4,465
- 4,466
- 4,467
- 4,468
- 4,469
- 4,470
- 4,471
- 4,472
- 4,473
- 4,474
- 4,475
- 4,476
- 4,477
- 4,478
- 4,479
- 4,480
- 4,481
- 4,482
- 4,483
- 4,484
- 4,485
- 4,486
- 4,487
- 4,488
- 4,489
- 4,490
- 4,491
- 4,492
- 4,493
- 4,494
- 4,495
- 4,496
- 4,497
- 4,498
- 4,499
- 4,500
- 4,501
- 4,502
- 4,503
- 4,504
- 4,505
- 4,506
- 4,507
- 4,508
- 4,509
- 4,510
- 4,511
- 4,512
- 4,513
- 4,514
- 4,515
- 4,516
- 4,517
- 4,518
- 4,519
- 4,520
- 4,521
- 4,522
- 4,523
- 4,524
- 4,525
- 4,526
- 4,527
- 4,528
- 4,529
- 4,530
- 4,531
- 4,532
- 4,533
- 4,534
- 4,535
- 4,536
- 4,537
- 4,538
- 4,539
- 4,540
- 4,541
- 4,542
- 4,543
- 4,544
- 4,545
- 4,546
- 4,547
- 4,548
- 4,549
- 4,550
- 4,551
- 4,552
- 4,553
- 4,554
- 4,555
- 4,556
- 4,557
- 4,558
- 4,559
- 4,560
- 4,561
- 4,562
- 4,563
- 4,564
- 4,565
- 4,566
- 4,567
- 4,568
- 4,569
- 4,570
- 4,571
- 4,572
- 4,573
- 4,574
- 4,575
- 4,576
- 4,577
- 4,578
- 4,579
- 4,580
- 4,581
- 4,582
- 4,583
- 4,584
- 4,585
- 4,586
- 4,587
- 4,588
- 4,589
- 4,590
- 4,591
- 4,592
- 4,593
- 4,594
- 4,595
- 4,596
- 4,597
- 4,598
- 4,599
- 4,600
- 4,601
- 4,602
- 4,603
- 4,604
- 4,605
- 4,606
- 4,607
- 4,608
- 4,609
- 4,610
- 4,611
- 4,612
- 4,613
- 4,614
- 4,615
- 4,616
- 4,617
- 4,618
- 4,619
- 4,620
- 4,621
- 4,622
- 4,623
- 4,624
- 4,625
- 4,626
- 4,627
- 4,628
- 4,629
- 4,630
- 4,631
- 4,632
- 4,633
- 4,634
- 4,635
- 4,636
- 4,637
- 4,638
- 4,639
- 4,640
- 4,641
- 4,642
- 4,643
- 4,644
- 4,645
- 4,646
- 4,647
- 4,648
- 4,649
- 4,650
- 4,651
- 4,652
- 4,653
- 4,654
- 4,655
- 4,656
- 4,657
- 4,658
- 4,659
- 4,660
- 4,661
- 4,662
- 4,663
- 4,664
- 4,665
- 4,666
- 4,667
- 4,668
- 4,669
- 4,670
- 4,671
- 4,672
- 4,673
- 4,674
- 4,675
- 4,676
- 4,677
- 4,678
- 4,679
- 4,680
- 4,681
- 4,682
- 4,683
- 4,684
- 4,685
- 4,686
- 4,687
- 4,688
- 4,689
- 4,690
- 4,691
- 4,692
- 4,693
- 4,694
- 4,695
- 4,696
- 4,697
- 4,698
- 4,699
- 4,700
- 4,701
- 4,702
- 4,703
- 4,704
- 4,705
- 4,706
- 4,707
- 4,708
- 4,709
- 4,710
- 4,711
- 4,712
- 4,713
- 4,714
- 4,715
- 4,716
- 4,717
- 4,718
- 4,719
- 4,720
- 4,721
- 4,722
- 4,723
- 4,724
- 4,725
- 4,726
- 4,727
- 4,728
- 4,729
- 4,730
- 4,731
- 4,732
- 4,733
- 4,734
- 4,735
- 4,736
- 4,737
- 4,738
- 4,739
- 4,740
- 4,741
- 4,742
- 4,743
- 4,744
- 4,745
- 4,746
- 4,747
- 4,748
- 4,749
- 4,750
- 4,751
- 4,752
- 4,753
- 4,754
- 4,755
- 4,756
- 4,757
- 4,758
- 4,759
- 4,760
- 4,761
- 4,762
- 4,763
- 4,764
- 4,765
- 4,766
- 4,767
- 4,768
- 4,769
- 4,770
- 4,771
- 4,772
- 4,773
- 4,774
- 4,775
- 4,776
- 4,777
- 4,778
- 4,779
- 4,780
- 4,781
- 4,782
- 4,783
- 4,784
- 4,785
- 4,786
- 4,787
- 4,788
- 4,789
- 4,790
- 4,791
- 4,792
- 4,793
- 4,794
- 4,795
- 4,796
- 4,797
- 4,798
- 4,799
- 4,800
- 4,801
- 4,802
- 4,803
- 4,804
- 4,805
- 4,806
- 4,807
- 4,808
- 4,809
- 4,810
- 4,811
- 4,812
- 4,813
- 4,814
- 4,815
- 4,816
- 4,817
- 4,818
- 4,819
- 4,820
- 4,821
- 4,822
- 4,823
- 4,824
- 4,825
- 4,826
- 4,827
- 4,828
- 4,829
- 4,830
- 4,831
- 4,832
- 4,833
- 4,834
- 4,835
- 4,836
- 4,837
- 4,838
- 4,839
- 4,840
- 4,841
- 4,842
- 4,843
- 4,844
- 4,845
- 4,846
- 4,847
- 4,848
- 4,849
- 4,850
- 4,851
- 4,852
- 4,853
- 4,854
- 4,855
- 4,856
- 4,857
- 4,858
- 4,859
- 4,860
- 4,861
- 4,862
- 4,863
- 4,864
- 4,865
- 4,866
- 4,867
- 4,868
- 4,869
- 4,870
- 4,871
- 4,872
- 4,873
- 4,874
- 4,875
- 4,876
- 4,877
- 4,878
- 4,879
- 4,880
- 4,881
- 4,882
- 4,883
- 4,884
- 4,885
- 4,886
- 4,887
- 4,888
- 4,889
- 4,890
- 4,891
- 4,892
- 4,893
- 4,894
- 4,895
- 4,896
- 4,897
- 4,898
- 4,899
- 4,900
- 4,901
- 4,902
- 4,903
- 4,904
- 4,905
- 4,906
- 4,907
- 4,908
- 4,909
- 4,910
- 4,911
- 4,912
- 4,913
- 4,914
- 4,915
- 4,916
- 4,917
- 4,918
- 4,919
- 4,920
- 4,921
- 4,922
- 4,923
- 4,924
- 4,925
- 4,926
- 4,927
- 4,928
- 4,929
- 4,930
- 4,931
- 4,932
- 4,933
- 4,934
- 4,935
- 4,936
- 4,937
- 4,938
- 4,939
- 4,940
- 4,941
- 4,942
- 4,943
- 4,944
- 4,945
- 4,946
- 4,947
- 4,948
- 4,949
- 4,950
- 4,951
- 4,952
- 4,953
- 4,954
- 4,955
- 4,956
- 4,957
- 4,958
- 4,959
- 4,960
- 4,961
- 4,962
- 4,963
- 4,964
- 4,965
- 4,966
- 4,967
- 4,968
- 4,969
- 4,970
- 4,971
- 4,972
- 4,973
- 4,974
- 4,975
- 4,976
- 4,977
- 4,978
- 4,979
- 4,980
- 4,981
- 4,982
- 4,983
- 4,984
- 4,985
- 4,986
- 4,987
- 4,988
- 4,989
- 4,990
- 4,991
- 4,992
- 4,993
- 4,994
- 4,995
- 4,996
- 4,997
- 4,998
- 4,999
- 5,000
- 5,001
- 5,002
- 5,003
- 5,004
- 5,005
- 5,006
- 5,007
- 5,008
- 5,009
- 5,010
- 5,011
- 5,012
- 5,013
- 5,014
- 5,015
- 5,016
- 5,017
- 5,018
- 5,019
- 5,020
- 5,021
- 5,022
- 5,023
- 5,024
- 5,025
- 5,026
- 5,027
- 5,028
- 5,029
- 5,030
- 5,031
- 5,032
- 5,033
- 5,034
- 5,035
- 5,036
- 5,037
- 5,038
- 5,039
- 5,040
- 5,041
- 5,042
- 5,043
- 5,044
- 5,045
- 5,046
- 5,047
- 5,048
- 5,049
- 5,050
- 5,051
- 5,052
- 5,053
- 5,054
- 5,055
- 5,056
- 5,057
- 5,058
- 5,059
- 5,060
- 5,061
- 5,062
- 5,063
- 5,064
- 5,065
- 5,066
- 5,067
- 5,068
- 5,069
- 5,070
- 5,071
- 5,072
- 5,073
- 5,074
- 5,075
- 5,076
- 5,077
- 5,078
- 5,079
- 5,080
- 5,081
- 5,082
- 5,083
- 5,084
- 5,085
- 5,086
- 5,087
- 5,088
- 5,089
- 5,090
- 5,091
- 5,092
- 5,093
- 5,094
- 5,095
- 5,096
- 5,097
- 5,098
- 5,099
- 5,100
- 5,101
- 5,102
- 5,103
- 5,104
- 5,105
- 5,106
- 5,107
- 5,108
- 5,109
- 5,110
- 5,111
- 5,112
- 5,113
- 5,114
- 5,115
- 5,116
- 5,117
- 5,118
- 5,119
- 5,120
- 5,121
- 5,122
- 5,123
- 5,124
- 5,125
- 5,126
- 5,127
- 5,128
- 5,129
- 5,130
- 5,131
- 5,132
- 5,133
- 5,134
- 5,135
- 5,136
- 5,137
- 5,138
- 5,139
- 5,140
- 5,141
- 5,142
- 5,143
- 5,144
- 5,145
- 5,146
- 5,147
- 5,148
- 5,149
- 5,150
- 5,151
- 5,152
- 5,153
- 5,154
- 5,155
- 5,156
- 5,157
- 5,158
- 5,159
- 5,160
- 5,161
- 5,162
- 5,163
- 5,164
- 5,165
- 5,166
- 5,167
- 5,168
- 5,169
- 5,170
- 5,171
- 5,172
- 5,173
- 5,174
- 5,175
- 5,176
- 5,177
- 5,178
- 5,179
- 5,180
- 5,181
- 5,182
- 5,183
- 5,184
- 5,185
- 5,186
- 5,187
- 5,188
- 5,189
- 5,190
- 5,191
- 5,192
- 5,193
- 5,194
- 5,195
- 5,196
- 5,197
- 5,198
- 5,199
- 5,200
- 5,201
- 5,202
- 5,203
- 5,204
- 5,205
- 5,206
- 5,207
- 5,208
- 5,209
- 5,210
- 5,211
- 5,212
- 5,213
- 5,214
- 5,215
- 5,216
- 5,217
- 5,218
- 5,219
- 5,220
- 5,221
- 5,222
- 5,223
- 5,224
- 5,225
- 5,226
- 5,227
- 5,228
- 5,229
- 5,230
- 5,231
- 5,232
- 5,233
- 5,234
- 5,235
- 5,236
- 5,237
- 5,238
- 5,239
- 5,240
- 5,241
- 5,242
- 5,243
- 5,244
- 5,245
- 5,246
- 5,247
- 5,248
- 5,249
- 5,250
- 5,251
- 5,252
- 5,253
- 5,254
- 5,255
- 5,256
- 5,257
- 5,258
- 5,259
- 5,260
- 5,261
- 5,262
- 5,263
- 5,264
- 5,265
- 5,266
- 5,267
- 5,268
- 5,269
- 5,270
- 5,271
- 5,272
- 5,273
- 5,274
- 5,275
- 5,276
- 5,277
- 5,278
- 5,279
- 5,280
- 5,281
- 5,282
- 5,283
- 5,284
- 5,285
- 5,286
- 5,287
- 5,288
- 5,289
- 5,290
- 5,291
- 5,292
- 5,293
- 5,294
- 5,295
- 5,296
- 5,297
- 5,298
- 5,299
- 5,300
- 5,301
- 5,302
- 5,303
- 5,304
- 5,305
- 5,306
- 5,307
- 5,308
- 5,309
- 5,310
- 5,311
- 5,312
- 5,313
- 5,314
- 5,315
- 5,316
- 5,317
- 5,318
- 5,319
- 5,320
- 5,321
- 5,322
- 5,323
- 5,324
- 5,325
- 5,326
- 5,327
- 5,328
- 5,329
- 5,330
- 5,331
- 5,332
- 5,333
- 5,334
- 5,335
- 5,336
- 5,337
- 5,338
- 5,339
- 5,340
- 5,341
- 5,342
- 5,343
- 5,344
- 5,345
- 5,346
- 5,347
- 5,348
- 5,349
- 5,350
- 5,351
- 5,352
- 5,353
- 5,354
- 5,355
- 5,356
- 5,357
- 5,358
- 5,359
- 5,360
- 5,361
- 5,362
- 5,363
- 5,364
- 5,365
- 5,366
- 5,367
- 5,368
- 5,369
- 5,370
- 5,371
- 5,372
- 5,373
- 5,374
- 5,375
- 5,376
- 5,377
- 5,378
- 5,379
- 5,380
- 5,381
- 5,382
- 5,383
- 5,384
- 5,385
- 5,386
- 5,387
- 5,388
- 5,389
- 5,390
- 5,391
- 5,392
- 5,393
- 5,394
- 5,395
- 5,396
- 5,397
- 5,398
- 5,399
- 5,400
- 5,401
- 5,402
- 5,403
- 5,404
- 5,405
- 5,406
- 5,407
- 5,408
- 5,409
- 5,410
- 5,411
- 5,412
- 5,413
- 5,414
- 5,415
- 5,416
- 5,417
- 5,418
- 5,419
- 5,420
- 5,421
- 5,422
- 5,423
- 5,424
- 5,425
- 5,426
- 5,427
- 5,428
- 5,429
- 5,430
- 5,431
- 5,432
- 5,433
- 5,434
- 5,435
- 5,436
- 5,437
- 5,438
- 5,439
- 5,440
- 5,441
- 5,442
- 5,443
- 5,444
- 5,445
- 5,446
- 5,447
- 5,448
- 5,449
- 5,450
- 5,451
- 5,452
- 5,453
- 5,454
- 5,455
- 5,456
- 5,457
- 5,458
- 5,459
- 5,460
- 5,461
- 5,462
- 5,463
- 5,464
- 5,465
- 5,466
- 5,467
- 5,468
- 5,469
- 5,470
- 5,471
- 5,472
- 5,473
- 5,474
- 5,475
- 5,476
- 5,477
- 5,478
- 5,479
- 5,480
- 5,481
- 5,482
- 5,483
- 5,484
- 5,485
- 5,486
- 5,487
- 5,488
- 5,489
- 5,490
- 5,491
- 5,492
- 5,493
- 5,494
- 5,495
- 5,496
- 5,497
- 5,498
- 5,499
- 5,500
- 5,501
- 5,502
- 5,503
- 5,504
- 5,505
- 5,506
- 5,507
- 5,508
- 5,509
- 5,510
- 5,511
- 5,512
- 5,513
- 5,514
- 5,515
- 5,516
- 5,517
- 5,518
- 5,519
- 5,520
- 5,521
- 5,522
- 5,523
- 5,524
- 5,525
- 5,526
- 5,527
- 5,528
- 5,529
- 5,530
- 5,531
- 5,532
- 5,533
- 5,534
- 5,535
- 5,536
- 5,537
- 5,538
- 5,539
- 5,540
- 5,541
- 5,542
- 5,543
- 5,544
- 5,545
- 5,546
- 5,547
- 5,548
- 5,549
- 5,550
- 5,551
- 5,552
- 5,553
- 5,554
- 5,555
- 5,556
- 5,557
- 5,558
- 5,559
- 5,560
- 5,561
- 5,562
- 5,563
- 5,564
- 5,565
- 5,566
- 5,567
- 5,568
- 5,569
- 5,570
- 5,571
- 5,572
- 5,573
- 5,574
- 5,575
- 5,576
- 5,577
- 5,578
- 5,579
- 5,580
- 5,581
- 5,582
- 5,583
- 5,584
- 5,585
- 5,586
- 5,587
- 5,588
- 5,589
- 5,590
- 5,591
- 5,592
- 5,593
- 5,594
- 5,595
- 5,596
- 5,597
- 5,598
- 5,599
- 5,600
- 5,601
- 5,602
- 5,603
- 5,604
- 5,605
- 5,606
- 5,607
- 5,608
- 5,609
- 5,610
- 5,611
- 5,612
- 5,613
- 5,614
- 5,615
- 5,616
- 5,617
- 5,618
- 5,619
- 5,620
- 5,621
- 5,622
- 5,623
- 5,624
- 5,625
- 5,626
- 5,627
- 5,628
- 5,629
- 5,630
- 5,631
- 5,632
- 5,633
- 5,634
- 5,635
- 5,636
- 5,637
- 5,638
- 5,639
- 5,640
- 5,641
- 5,642
- 5,643
- 5,644
- 5,645
- 5,646
- 5,647
- 5,648
- 5,649
- 5,650
- 5,651
- 5,652
- 5,653
- 5,654
- 5,655
- 5,656
- 5,657
- 5,658
- 5,659
- 5,660
- 5,661
- 5,662
- 5,663
- 5,664
- 5,665
- 5,666
- 5,667
- 5,668
- 5,669
- 5,670
- 5,671
- 5,672
- 5,673
- 5,674
- 5,675
- 5,676
- 5,677
- 5,678
- 5,679
- 5,680
- 5,681
- 5,682
- 5,683
- 5,684
- 5,685
- 5,686
- 5,687
- 5,688
- 5,689
- 5,690
- 5,691
- 5,692
- 5,693
- 5,694
- 5,695
- 5,696
- 5,697
- 5,698
- 5,699
- 5,700
- 5,701
- 5,702
- 5,703
- 5,704
- 5,705
- 5,706
- 5,707
- 5,708
- 5,709
- 5,710
- 5,711
- 5,712
- 5,713
- 5,714
- 5,715
- 5,716
- 5,717
- 5,718
- 5,719
- 5,720
- 5,721
- 5,722
- 5,723
- 5,724
- 5,725
- 5,726
- 5,727
- 5,728
- 5,729
- 5,730
- 5,731
- 5,732
- 5,733
- 5,734
- 5,735
- 5,736
- 5,737
- 5,738
- 5,739
- 5,740
- 5,741
- 5,742
- 5,743
- 5,744
- 5,745
- 5,746
- 5,747
- 5,748
- 5,749
- 5,750
- 5,751
- 5,752
- 5,753
- 5,754
- 5,755
- 5,756
- 5,757
- 5,758
- 5,759
- 5,760
- 5,761
- 5,762
- 5,763
- 5,764
- 5,765
- 5,766
- 5,767
- 5,768
- 5,769
- 5,770
- 5,771
- 5,772
- 5,773
- 5,774
- 5,775
- 5,776
- 5,777
- 5,778
- 5,779
- 5,780
- 5,781
- 5,782
- 5,783
- 5,784
- 5,785
- 5,786
- 5,787
- 5,788
- 5,789
- 5,790
- 5,791
- 5,792
- 5,793
- 5,794
- 5,795
- 5,796
- 5,797
- 5,798
- 5,799
- 5,800
- 5,801
- 5,802
- 5,803
- 5,804
- 5,805
- 5,806
- 5,807
- 5,808
- 5,809
- 5,810
- 5,811
- 5,812
- 5,813
- 5,814
- 5,815
- 5,816
- 5,817
- 5,818
- 5,819
- 5,820
- 5,821
- 5,822
- 5,823
- 5,824
- 5,825
- 5,826
- 5,827
- 5,828
- 5,829
- 5,830
- 5,831
- 5,832
- 5,833
- 5,834
- 5,835
- 5,836
- 5,837
- 5,838
- 5,839
- 5,840
- 5,841
- 5,842
- 5,843
- 5,844
- 5,845
- 5,846
- 5,847
- 5,848
- 5,849
- 5,850
- 5,851
- 5,852
- 5,853
- 5,854
- 5,855
- 5,856
- 5,857
- 5,858
- 5,859
- 5,860
- 5,861
- 5,862
- 5,863
- 5,864
- 5,865
- 5,866
- 5,867
- 5,868
- 5,869
- 5,870
- 5,871
- 5,872
- 5,873
- 5,874
- 5,875
- 5,876
- 5,877
- 5,878
- 5,879
- 5,880
- 5,881
- 5,882
- 5,883
- 5,884
- 5,885
- 5,886
- 5,887
- 5,888
- 5,889
- 5,890
- 5,891
- 5,892
- 5,893
- 5,894
- 5,895
- 5,896
- 5,897
- 5,898
- 5,899
- 5,900
- 5,901
- 5,902
- 5,903
- 5,904
- 5,905
- 5,906
- 5,907
- 5,908
- 5,909
- 5,910
- 5,911
- 5,912
- 5,913
- 5,914
- 5,915
- 5,916
- 5,917
- 5,918
- 5,919
- 5,920
- 5,921
- 5,922
- 5,923
- 5,924
- 5,925
- 5,926
- 5,927
- 5,928
- 5,929
- 5,930
- 5,931
- 5,932
- 5,933
- 5,934
- 5,935
- 5,936
- 5,937
- 5,938
- 5,939
- 5,940
- 5,941
- 5,942
- 5,943
- 5,944
- 5,945
- 5,946
- 5,947
- 5,948
- 5,949
- 5,950
- 5,951
- 5,952
- 5,953
- 5,954
- 5,955
- 5,956
- 5,957
- 5,958
- 5,959
- 5,960
- 5,961
- 5,962
- 5,963
- 5,964
- 5,965
- 5,966
- 5,967
- 5,968
- 5,969
- 5,970
- 5,971
- 5,972
- 5,973
- 5,974
- 5,975
- 5,976
- 5,977
- 5,978
- 5,979
- 5,980
- 5,981
- 5,982
- 5,983
- 5,984
- 5,985
- 5,986
- 5,987
- 5,988
- 5,989
- 5,990
- 5,991
- 5,992
- 5,993
- 5,994
- 5,995
- 5,996
- 5,997
- 5,998
- 5,999
- 6,000
- 6,001
- 6,002
- 6,003
- 6,004
- 6,005
- 6,006
- 6,007
- 6,008
- 6,009
- 6,010
- 6,011
- 6,012
- 6,013
- 6,014
- 6,015
- 6,016
- 6,017
- 6,018
- 6,019
- 6,020
- 6,021
- 6,022
- 6,023
- 6,024
- 6,025
- 6,026
- 6,027
- 6,028
- 6,029
- 6,030
- 6,031
- 6,032
- 6,033
- 6,034
- 6,035
- 6,036
- 6,037
- 6,038
- 6,039
- 6,040
- 6,041
- 6,042
- 6,043
- 6,044
- 6,045
- 6,046
- 6,047
- 6,048
- 6,049
- 6,050
- 6,051
- 6,052
- 6,053
- 6,054
- 6,055
- 6,056
- 6,057
- 6,058
- 6,059
- 6,060
- 6,061
- 6,062
- 6,063
- 6,064
- 6,065
- 6,066
- 6,067
- 6,068
- 6,069
- 6,070
- 6,071
- 6,072
- 6,073
- 6,074
- 6,075
- 6,076
- 6,077
- 6,078
- 6,079
- 6,080
- 6,081
- 6,082
- 6,083
- 6,084
- 6,085
- 6,086
- 6,087
- 6,088
- 6,089
- 6,090
- 6,091
- 6,092
- 6,093
- 6,094
- 6,095
- 6,096
- 6,097
- 6,098
- 6,099
- 6,100
- 6,101
- 6,102
- 6,103
- 6,104
- 6,105
- 6,106
- 6,107
- 6,108
- 6,109
- 6,110
- 6,111
- 6,112
- 6,113
- 6,114
- 6,115
- 6,116
- 6,117
- 6,118
- 6,119
- 6,120
- 6,121
- 6,122
- 6,123
- 6,124
- 6,125
- 6,126
- 6,127
- 6,128
- 6,129
- 6,130
- 6,131
- 6,132
- 6,133
- 6,134
- 6,135
- 6,136
- 6,137
- 6,138
- 6,139
- 6,140
- 6,141
- 6,142
- 6,143
- 6,144
- 6,145
- 6,146
- 6,147
- 6,148
- 6,149
- 6,150
- 6,151
- 6,152
- 6,153
- 6,154
- 6,155
- 6,156
- 6,157
- 6,158
- 6,159
- 6,160
- 6,161
- 6,162
- 6,163
- 6,164
- 6,165
- 6,166
- 6,167
- 6,168
- 6,169
- 6,170
- 6,171
- 6,172
- 6,173
- 6,174
- 6,175
- 6,176
- 6,177
- 6,178
- 6,179
- 6,180
- 6,181
- 6,182
- 6,183
- 6,184
- 6,185
- 6,186
- 6,187
- 6,188
- 6,189
- 6,190
- 6,191
- 6,192
- 6,193
- 6,194
- 6,195
- 6,196
- 6,197
- 6,198
- 6,199
- 6,200
- 6,201
- 6,202
- 6,203
- 6,204
- 6,205
- 6,206
- 6,207
- 6,208
- 6,209
- 6,210
- 6,211
- 6,212
- 6,213
- 6,214
- 6,215
- 6,216
- 6,217
- 6,218
- 6,219
- 6,220
- 6,221
- 6,222
- 6,223
- 6,224
- 6,225
- 6,226
- 6,227
- 6,228
- 6,229
- 6,230
- 6,231
- 6,232
- 6,233
- 6,234
- 6,235
- 6,236
- 6,237
- 6,238
- 6,239
- 6,240
- 6,241
- 6,242
- 6,243
- 6,244
- 6,245
- 6,246
- 6,247
- 6,248
- 6,249
- 6,250
- 6,251
- 6,252
- 6,253
- 6,254
- 6,255
- 6,256
- 6,257
- 6,258
- 6,259
- 6,260
- 6,261
- 6,262
- 6,263
- 6,264
- 6,265
- 6,266
- 6,267
- 6,268
- 6,269
- 6,270
- 6,271
- 6,272
- 6,273
- 6,274
- 6,275
- 6,276
- 6,277
- 6,278
- 6,279
- 6,280
- 6,281
- 6,282
- 6,283
- 6,284
- 6,285
- 6,286
- 6,287
- 6,288
- 6,289
- 6,290
- 6,291
- 6,292
- 6,293
- 6,294
- 6,295
- 6,296
- 6,297
- 6,298
- 6,299
- 6,300
- 6,301
- 6,302
- 6,303
- 6,304
- 6,305
- 6,306
- 6,307
- 6,308
- 6,309
- 6,310
- 6,311
- 6,312
- 6,313
- 6,314
- 6,315
- 6,316
- 6,317
- 6,318
- 6,319
- 6,320
- 6,321
- 6,322
- 6,323
- 6,324
- 6,325
- 6,326
- 6,327
- 6,328
- 6,329
- 6,330
- 6,331
- 6,332
- 6,333
- 6,334
- 6,335
- 6,336
- 6,337
- 6,338
- 6,339
- 6,340
- 6,341
- 6,342
- 6,343
- 6,344
- 6,345
- 6,346
- 6,347
- 6,348
- 6,349
- 6,350
- 6,351
- 6,352
- 6,353
- 6,354
- 6,355
- 6,356
- 6,357
- 6,358
- 6,359
- 6,360
- 6,361
- 6,362
- 6,363
- 6,364
- 6,365
- 6,366
- 6,367
- 6,368
- 6,369
- 6,370
- 6,371
- 6,372
- 6,373
- 6,374
- 6,375
- 6,376
- 6,377
- 6,378
- 6,379
- 6,380
- 6,381
- 6,382
- 6,383
- 6,384
- 6,385
- 6,386
- 6,387
- 6,388
- 6,389
- 6,390
- 6,391
- 6,392
- 6,393
- 6,394
- 6,395
- 6,396
- 6,397
- 6,398
- 6,399
- 6,400
- 6,401
- 6,402
- 6,403
- 6,404
- 6,405
- 6,406
- 6,407
- 6,408
- 6,409
- 6,410
- 6,411
- 6,412
- 6,413
- 6,414
- 6,415
- 6,416
- 6,417
- 6,418
- 6,419
- 6,420
- 6,421
- 6,422
- 6,423
- 6,424
- 6,425
- 6,426
- 6,427
- 6,428
- 6,429
- 6,430
- 6,431
- 6,432
- 6,433
- 6,434
- 6,435
- 6,436
- 6,437
- 6,438
- 6,439
- 6,440
- 6,441
- 6,442
- 6,443
- 6,444
- 6,445
- 6,446
- 6,447
- 6,448
- 6,449
- 6,450
- 6,451
- 6,452
- 6,453
- 6,454
- 6,455
- 6,456
- 6,457
- 6,458
- 6,459
- 6,460
- 6,461
- 6,462
- 6,463
- 6,464
- 6,465
- 6,466
- 6,467
- 6,468
- 6,469
- 6,470
- 6,471
- 6,472
- 6,473
- 6,474
- 6,475
- 6,476
- 6,477
- 6,478
- 6,479
- 6,480
- 6,481
- 6,482
- 6,483
- 6,484
- 6,485
- 6,486
- 6,487
- 6,488
- 6,489
- 6,490
- 6,491
- 6,492
- 6,493
- 6,494
- 6,495
- 6,496
- 6,497
- 6,498
- 6,499
- 6,500
- 6,501
- 6,502
- 6,503
- 6,504
- 6,505
- 6,506
- 6,507
- 6,508
- 6,509
- 6,510
- 6,511
- 6,512
- 6,513
- 6,514
- 6,515
- 6,516
- 6,517
- 6,518
- 6,519
- 6,520
- 6,521
- 6,522
- 6,523
- 6,524
- 6,525
- 6,526
- 6,527
- 6,528
- 6,529
- 6,530
- 6,531
- 6,532
- 6,533
- 6,534
- 6,535
- 6,536
- 6,537
- 6,538
- 6,539
- 6,540
- 6,541
- 6,542
- 6,543
- 6,544
- 6,545
- 6,546
- 6,547
- 6,548
- 6,549
- 6,550
- 6,551
- 6,552
- 6,553
- 6,554
- 6,555
- 6,556
- 6,557
- 6,558
- 6,559
- 6,560
- 6,561
- 6,562
- 6,563
- 6,564
- 6,565
- 6,566
- 6,567
- 6,568
- 6,569
- 6,570
- 6,571
- 6,572
- 6,573
- 6,574
- 6,575
- 6,576
- 6,577
- 6,578
- 6,579
- 6,580
- 6,581
- 6,582
- 6,583
- 6,584
- 6,585
- 6,586
- 6,587
- 6,588
- 6,589
- 6,590
- 6,591
- 6,592
- 6,593
- 6,594
- 6,595
- 6,596
- 6,597
- 6,598
- 6,599
- 6,600
- 6,601
- 6,602
- 6,603
- 6,604
- 6,605
- 6,606
- 6,607
- 6,608
- 6,609
- 6,610
- 6,611
- 6,612
- 6,613
- 6,614
- 6,615
- 6,616
- 6,617
- 6,618
- 6,619
- 6,620
- 6,621
- 6,622
- 6,623
- 6,624
- 6,625
- 6,626
- 6,627
- 6,628
- 6,629
- 6,630
- 6,631
- 6,632
- 6,633
- 6,634
- 6,635
- 6,636
- 6,637
- 6,638
- 6,639
- 6,640
- 6,641
- 6,642
- 6,643
- 6,644
- 6,645
- 6,646
- 6,647
- 6,648
- 6,649
- 6,650
- 6,651
- 6,652
- 6,653
- 6,654
- 6,655
- 6,656
- 6,657
- 6,658
- 6,659
- 6,660
- 6,661
- 6,662
- 6,663
- 6,664
- 6,665
- 6,666
- 6,667
- 6,668
- 6,669
- 6,670
- 6,671
- 6,672
- 6,673
- 6,674
- 6,675
- 6,676
- 6,677
- 6,678
- 6,679
- 6,680
- 6,681
- 6,682
- 6,683
- 6,684
- 6,685
- 6,686
- 6,687
- 6,688
- 6,689
- 6,690
- 6,691
- 6,692
- 6,693
- 6,694
- 6,695
- 6,696
- 6,697
- 6,698
- 6,699
- 6,700
- 6,701
- 6,702
- 6,703
- 6,704
- 6,705
- 6,706
- 6,707
- 6,708
- 6,709
- 6,710
- 6,711
- 6,712
- 6,713
- 6,714
- 6,715
- 6,716
- 6,717
- 6,718
- 6,719
- 6,720
- 6,721
- 6,722
- 6,723
- 6,724
- 6,725
- 6,726
- 6,727
- 6,728
- 6,729
- 6,730
- 6,731
- 6,732
- 6,733
- 6,734
- 6,735
- 6,736
- 6,737
- 6,738
- 6,739
- 6,740
- 6,741
- 6,742
- 6,743
- 6,744
- 6,745
- 6,746
- 6,747
- 6,748
- 6,749
- 6,750
- 6,751
- 6,752
- 6,753
- 6,754
- 6,755
- 6,756
- 6,757
- 6,758
- 6,759
- 6,760
- 6,761
- 6,762
- 6,763
- 6,764
- 6,765
- 6,766
- 6,767
- 6,768
- 6,769
- 6,770
- 6,771
- 6,772
- 6,773
- 6,774
- 6,775
- 6,776
- 6,777
- 6,778
- 6,779
- 6,780
- 6,781
- 6,782
- 6,783
- 6,784
- 6,785
- 6,786
- 6,787
- 6,788
- 6,789
- 6,790
- 6,791
- 6,792
- 6,793
- 6,794
- 6,795
- 6,796
- 6,797
- 6,798
- 6,799
- 6,800
- 6,801
- 6,802
- 6,803
- 6,804
- 6,805
- 6,806
- 6,807
- 6,808
- 6,809
- 6,810
- 6,811
- 6,812
- 6,813
- 6,814
- 6,815
- 6,816
- 6,817
- 6,818
- 6,819
- 6,820
- 6,821
- 6,822
- 6,823
- 6,824
- 6,825
- 6,826
- 6,827
- 6,828
- 6,829
- 6,830
- 6,831
- 6,832
- 6,833
- 6,834
- 6,835
- 6,836
- 6,837
- 6,838
- 6,839
- 6,840
- 6,841
- 6,842
- 6,843
- 6,844
- 6,845
- 6,846
- 6,847
- 6,848
- 6,849
- 6,850
- 6,851
- 6,852
- 6,853
- 6,854
- 6,855
- 6,856
- 6,857
- 6,858
- 6,859
- 6,860
- 6,861
- 6,862
- 6,863
- 6,864
- 6,865
- 6,866
- 6,867
- 6,868
- 6,869
- 6,870
- 6,871
- 6,872
- 6,873
- 6,874
- 6,875
- 6,876
- 6,877
- 6,878
- 6,879
- 6,880
- 6,881
- 6,882
- 6,883
- 6,884
- 6,885
- 6,886
- 6,887
- 6,888
- 6,889
- 6,890
- 6,891
- 6,892
- 6,893
- 6,894
- 6,895
- 6,896
- 6,897
- 6,898
- 6,899
- 6,900
- 6,901
- 6,902
- 6,903
- 6,904
- 6,905
- 6,906
- 6,907
- 6,908
- 6,909
- 6,910
- 6,911
- 6,912
- 6,913
- 6,914
- 6,915
- 6,916
- 6,917
- 6,918
- 6,919
- 6,920
- 6,921
- 6,922
- 6,923
- 6,924
- 6,925
- 6,926
- 6,927
- 6,928
- 6,929
- 6,930
- 6,931
- 6,932
- 6,933
- 6,934
- 6,935
- 6,936
- 6,937
- 6,938
- 6,939
- 6,940
- 6,941
- 6,942
- 6,943
- 6,944
- 6,945
- 6,946
- 6,947
- 6,948
- 6,949
- 6,950
- 6,951
- 6,952
- 6,953
- 6,954
- 6,955
- 6,956
- 6,957
- 6,958
- 6,959
- 6,960
- 6,961
- 6,962
- 6,963
- 6,964
- 6,965
- 6,966
- 6,967
- 6,968
- 6,969
- 6,970
- 6,971
- 6,972
- 6,973
- 6,974
- 6,975
- 6,976
- 6,977
- 6,978
- 6,979
- 6,980
- 6,981
- 6,982
- 6,983
- 6,984
- 6,985
- 6,986
- 6,987
- 6,988
- 6,989
- 6,990
- 6,991
- 6,992
- 6,993
- 6,994
- 6,995
- 6,996
- 6,997
- 6,998
- 6,999
- 7,000
- 7,001
- 7,002
- 7,003
- 7,004
- 7,005
- 7,006
- 7,007
- 7,008
- 7,009
- 7,010
- 7,011
- 7,012
- 7,013
- 7,014
- 7,015
- 7,016
- 7,017
- 7,018
- 7,019
- 7,020
- 7,021
- 7,022
- 7,023
- 7,024
- 7,025
- 7,026
- 7,027
- 7,028
- 7,029
- 7,030
- 7,031
- 7,032
- 7,033
- 7,034
- 7,035
- 7,036
- 7,037
- 7,038
- 7,039
- 7,040
- 7,041
- 7,042
- 7,043
- 7,044
- 7,045
- 7,046
- 7,047
- 7,048
- 7,049
- 7,050
- 7,051
- 7,052
- 7,053
- 7,054
- 7,055
- 7,056
- 7,057
- 7,058
- 7,059
- 7,060
- 7,061
- 7,062
- 7,063
- 7,064
- 7,065
- 7,066
- 7,067
- 7,068
- 7,069
- 7,070
- 7,071
- 7,072
- 7,073
- 7,074
- 7,075
- 7,076
- 7,077
- 7,078
- 7,079
- 7,080
- 7,081
- 7,082
- 7,083
- 7,084
- 7,085
- 7,086
- 7,087
- 7,088
- 7,089
- 7,090
- 7,091
- 7,092
- 7,093
- 7,094
- 7,095
- 7,096
- 7,097
- 7,098
- 7,099
- 7,100
- 7,101
- 7,102
- 7,103
- 7,104
- 7,105
- 7,106
- 7,107
- 7,108
- 7,109
- 7,110
- 7,111
- 7,112
- 7,113
- 7,114
- 7,115
- 7,116
- 7,117
- 7,118
- 7,119
- 7,120
- 7,121
- 7,122
- 7,123
- 7,124
- 7,125
- 7,126
- 7,127
- 7,128
- 7,129
- 7,130
- 7,131
- 7,132
- 7,133
- 7,134
- 7,135
- 7,136
- 7,137
- 7,138
- 7,139
- 7,140
- 7,141
- 7,142
- 7,143
- 7,144
- 7,145
- 7,146
- 7,147
- 7,148
- 7,149
- 7,150
- 7,151
- 7,152
- 7,153
- 7,154
- 7,155
- 7,156
- 7,157
- 7,158
- 7,159
- 7,160
- 7,161
- 7,162
- 7,163
- 7,164
- 7,165
- 7,166
- 7,167
- 7,168
- 7,169
- 7,170
- 7,171
- 7,172
- 7,173
- 7,174
- 7,175
- 7,176
- 7,177
- 7,178
- 7,179
- 7,180
- 7,181
- 7,182
- 7,183
- 7,184
- 7,185
- 7,186
- 7,187
- 7,188
- 7,189
- 7,190
- 7,191
- 7,192
- 7,193
- 7,194
- 7,195
- 7,196
- 7,197
- 7,198
- 7,199
- 7,200
- 7,201
- 7,202
- 7,203
- 7,204
- 7,205
- 7,206
- 7,207
- 7,208
- 7,209
- 7,210
- 7,211
- 7,212
- 7,213
- 7,214
- 7,215
- 7,216
- 7,217
- 7,218
- 7,219
- 7,220
- 7,221
- 7,222
- 7,223
- 7,224
- 7,225
- 7,226
- 7,227
- 7,228
- 7,229
- 7,230
- 7,231
- 7,232
- 7,233
- 7,234
- 7,235
- 7,236
- 7,237
- 7,238
- 7,239
- 7,240
- 7,241
- 7,242
- 7,243
- 7,244
- 7,245
- 7,246
- 7,247
- 7,248
- 7,249
- 7,250
- 7,251
- 7,252
- 7,253
- 7,254
- 7,255
- 7,256
- 7,257
- 7,258
- 7,259
- 7,260
- 7,261
- 7,262
- 7,263
- 7,264
- 7,265
- 7,266
- 7,267
- 7,268
- 7,269
- 7,270
- 7,271
- 7,272
- 7,273
- 7,274
- 7,275
- 7,276
- 7,277
- 7,278
- 7,279
- 7,280
- 7,281
- 7,282
- 7,283
- 7,284
- 7,285
- 7,286
- 7,287
- 7,288
- 7,289
- 7,290
- 7,291
- 7,292
- 7,293
- 7,294
- 7,295
- 7,296
- 7,297
- 7,298
- 7,299
- 7,300
- 7,301
- 7,302
- 7,303
- 7,304
- 7,305
- 7,306
- 7,307
- 7,308
- 7,309
- 7,310
- 7,311
- 7,312
- 7,313
- 7,314
- 7,315
- 7,316
- 7,317
- 7,318
- 7,319
- 7,320
- 7,321
- 7,322
- 7,323
- 7,324
- 7,325
- 7,326
- 7,327
- 7,328
- 7,329
- 7,330
- 7,331
- 7,332
- 7,333
- 7,334
- 7,335
- 7,336
- 7,337
- 7,338
- 7,339
- 7,340
- 7,341
- 7,342
- 7,343
- 7,344
- 7,345
- 7,346
- 7,347
- 7,348
- 7,349
- 7,350
- 7,351
- 7,352
- 7,353
- 7,354
- 7,355
- 7,356
- 7,357
- 7,358
- 7,359
- 7,360
- 7,361
- 7,362
- 7,363
- 7,364
- 7,365
- 7,366
- 7,367
- 7,368
- 7,369
- 7,370
- 7,371
- 7,372
- 7,373
- 7,374
- 7,375
- 7,376
- 7,377
- 7,378
- 7,379
- 7,380
- 7,381
- 7,382
- 7,383
- 7,384
- 7,385
- 7,386
- 7,387
- 7,388
- 7,389
- 7,390





